|
FIG. 1. Unilateral microinjection of XMyoD or XMyf5 RNA into one cell at the 2-cell stage affects gastrula and neurula stage embryos. (A)
Lateral (left) and vegetal (right) view of a whole mount stage 10 1/2 XMyoD (7.5 ng) RNA-injected embryo demonstrating precocious and
ectopic actin and myosin expression with combined 5C5 and MF20 whole mount immunocytochemical staining. Note the unilateral restriction
of labeling to the injected side of the embryo which was identified by the presence of an injection bleb (arrows). (B) Dorsal view of XMyf5 and
EFl-a RNA-injected embryos (7.5 ng) at late gastrula/early neurula (stage 13). XMyf5 RNA injection induced the formation of an ipsilateral
bulge which frequently included the neural plate (arrows) while control EFl-a RNA-injected embryos exhibited normal development. |
|
FIG. 2. (A) Dorsal view (anterior to the left) of stage 35/36 embryos unilaterally injected at the 2-cell stage with XMyf5 or control EFt-a RNA
(7.5 ng). Note the unilaterally restricted anterodorsal bulge (arrows) just posterior to the eye (e) on the side of XMyf5 RNA injection compared
to the left/right symmetry of the EFl-a RNA-injected embryo. (B) Cross section (4 Jtm) of a XMyf5 RNA-injected (7.5 ng) stage 35/36 embryo
displaying a unilateral anterodorsal bulge on the left side. Note the asymmetrical pattern of the somites (s) and hindbrain (h). In addition,
observe the increased pigmentation and thickness of the skin (arrow) and the mass of cells lateral to the enlarged hindbrain and dorsal to the
enlarged somite on the injected side (asterisk). nc, notochord. Bars, 50 um. |
|
FIG. 3. Unilateral XMyoD RNA inject ion (7.5 ng) at the 2-cell stage increases the size of the ipsilateral myotomes. (A) Cross section (10 um)
at the level of the ot ic vesicles (ov) of a representative stage 35/36 embryo unilaterally injected at the 2ell stage with control EFI-a RNA (7.5
ng) illustrating the restriction of actin (5C5 antigen) to the normal myotomes. (B) Cross section through the hindbrain r egion of a stage 35/36
XMyoD RNAnjected embryo stained with the 5C5 antibody showing an enlarged right myotome (m) on the side of RNA injection and the
presence of ectopic labeling (arrow) in the dorsal region of the hindbrain (h). (C) Hoechst staining of the same section as in (B) illustrating
similar nuclei density and morphology in the normal and enlarged myotomes as well as in the region of the hindbrain expressing a sarcomeric
actin. nc, notochord. Bars, 50 um in A and 37 um in Band C. |
|
FIG. 4. Overexpression of XMyoD increases the number of primary myotome myocytes. (A) Coronal section at the level of the notochord (nc)
through a stage 35/36 embryo which was injected unilaterally with XMyoD RNA (7.5 ng) at the 2-cell stage and stained with 12/101. Note the
enlarged and laterally disordered myotomes (m) on the injected s ide (bottom). (B) Hoechst stain of the same section as in (A) demonstrating
the increased number of distinctly large primary myocyte nuclei (arrow) in the myotomes of the injected side. Bars, 50 ,um. |
|
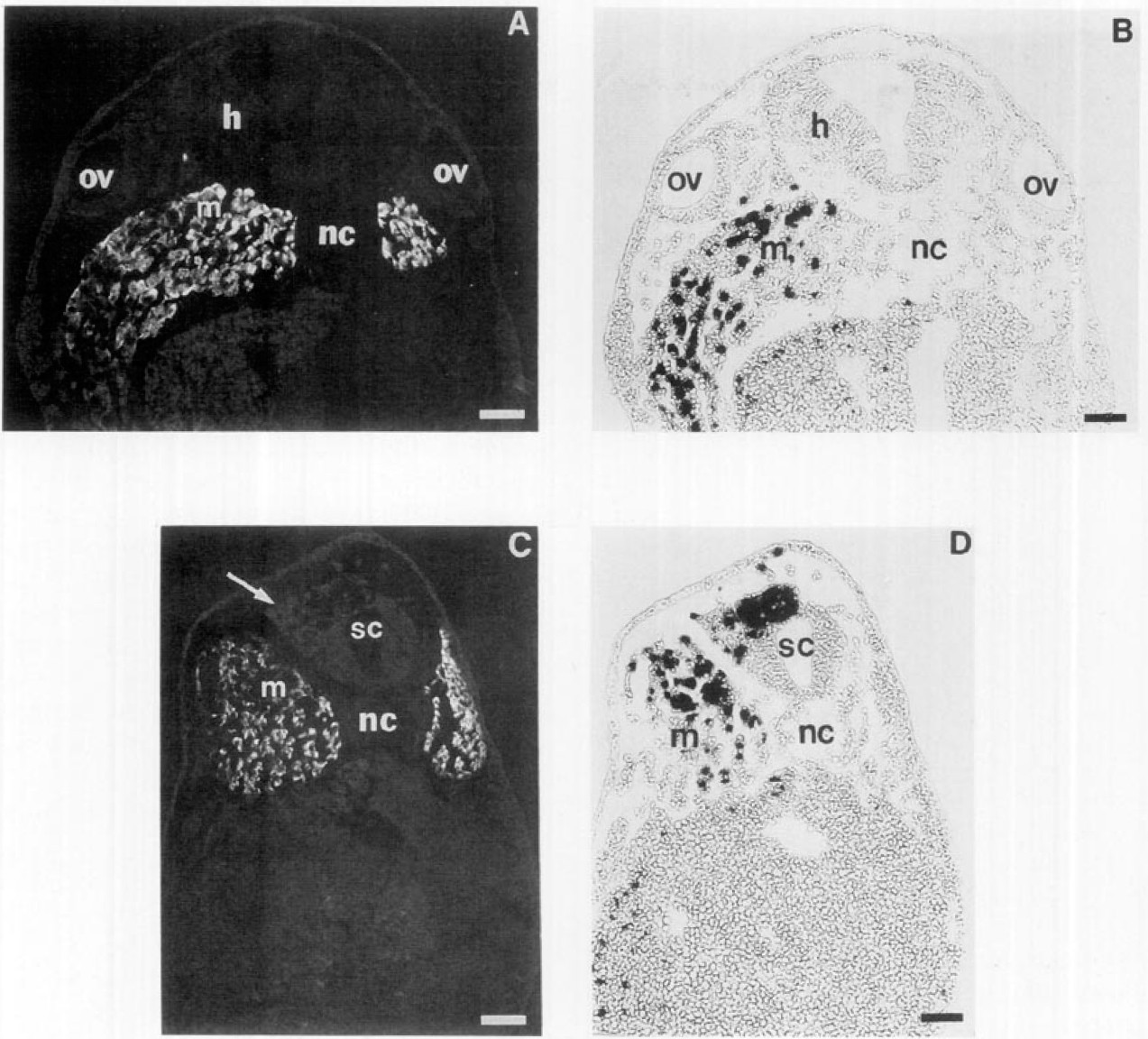
FIG. 5. Overexpression of XMyf5 results in a lateral expansion of the hindbrain. Cross section through the otic vesicle (ov) region of stage
35/36 embryos stained with the neural specific antibody 2G9. {A) Control EFl-a RNA unilaterally injected {7.5 ng) embryo demonstrating
normal cranial morphology and tissue specificity of 2G9. (B) XMyf5 RNA unilaterally injected (7.5 ng) embryo demonstrating a laterally
enlarged hindbrain (hand arrow) composed of 2G9 positive cells. nc, notochord. Bars, 50 um. |
|
FIG. 7. Overexpression of XMyoD in the animal-dorsal (AD) blastomere of the 8-cell embryo induces dysmorphogenesis of the myotomes and
nervous system. (A) Cross section through a unilateral AD XMyoD RNA (3.5 ng)-injected embryo illustrating a laterally enlarged hindbrain
(h) which has formed an accessory ventricle (av). (B) Cross section of the same embryo as in (A) showing an enlarged anterior trunk myotome
(m) on the injected left side. nc, notochord, Bars, 37 um. |
|
FIG. 8. Overexpression of XMyoD in the animal ventral (A V) blastomere
results in thicker skin and en)arged tail myotomes. Cross section
through the tail region of an embryo injected with XMyoD RNA (3.5
ng) into the A V blastomere at the 8~cell stage. Note the normal notochord
(nc) and spinal cord (sc) and the enlarged myotome (m) and
thicker skin (arrow) on the side of injection. nc, notochord. Bars,
30 um. |
|
FIG. 9. Unilateral coinjection of XMyoD RNA (4 ng) and nP-Gal RNA (1 ng) into the vegetal dorsal (VD) blastomere of the 8-cell embryo
affects trunk myotomal development and induces the ectopic expression of a-sarcomeric actin in lateral plate cells. (A) Cross section through
the hindbrain (h) region of a stage 25 XMyoD RNA-injected embryo stained with 5C5 antibody showing an enlarged cranial myotome (m) and
numerous lateral plate (lp) cells expressing actin. (B) The same section as in (A) showing the RNA distribution as demonstrated by ~-Gal
activity. Note coincidence of actin and p-gal staining. nc, notochord. Bars, 50 um. |
|
FIG. 10. Coinjection of tracer nj3-Gal RNA demonstrates that XMyoD overexpression is necessary but not sufficient in all cases to induce
morphological changes and initiate ectopic muscle gene expression. Cross sections through a stage 35/36 embryo coinjected into the vegetal
dorsal blastomere with XMyoD (3.5 ng) and nJ3-Gal RNA (1.0 ng) and stained with 12/101 (A, C) and X-Gal (B, D). Section through the hindbrain
(h) region iHustrating an (A) enlarged cranial myotome (m) and (B) the distribution of the injected RNAs. Section through the anterior trunk
region of the same embryo showing (C and D) an enlarged trunk myotome (m) and a laterally enlarged (arrow) spinal cord (sc). The affected
cranial and trunk myotomes contain cells which are tJ-Gal and muscle antigen positive. Note that the /3-Gal negative hindbrain developed
normally while the laterally enlarged spinal cord was iS-Gal positive and in this instance muscle antigen negative. nc, notochord; ov, otic vesicles.
Bars, 50 um. |
|
FIG. 11. Myotomal and nervous tissue effects of XMyoD overexpression
persist through secondary myotome myogenesis. Cross section
of stage 45 animal injected with XMyoD RNA ( 4 ng) into the right
VD blastomere at the 8-cell stage stained with 12/101. Section through
the anterior trunk region showing an enlarged right trunk myotome
(m) and a laterally expanded (arrow) spinal cord. nc, notochord. Bars,
50um. |
|
FIG. 12. Ectopic muscle-specific gene expression in the nervous system
persists through later stages of development. Cross section of
stage 48 animal injected with XMyoD RNA (3.5 ng) into the VD blastomere
at the 8-cell stage stained with 12/101 antibody. Section
through the anterior trunk region showing the presence of differentiated
muscle fibers (arrows) dorsal to and within the spinal cord (sc).
nc, notochord. Bars, 50 um. |
|
FIG. 13. Overexpression of XMyoD induces ectopic muscle formation in the developing nervous system. Cross section through the midbrain of
a stage 48 animal injected with XMyoD RNA (3.5 ng) into the AD blastomere at the 8-cell stage. (A) Note the lateral expansion, gross disorganization,
normal vetricle (v), and accessory ventricles (arrows) of the brain. Bar, 50 /.lm. (B) Higher magnification of enclosed area in (A) showing
striated muscle fibers (arrow) within the brain and ependymal cells (arrowheads) surrounding an accessory ventricle (av). Bar, 9 um . |
|
FIG. 14. Overexpression of XMyoD delays or inhibits programmed
degeneration of cranial myotomes. Cross section through the otic vesicle
(ov) region of a stage 48 animal injected with XMyoD RNA (3.5 ng)
into a VD blastomere at the 8-cell stage, stained with 12/101 antibody.
Note the persistence of the right cranial myotome (arrow) on the
RNA-injected side of the embryo, the lateral displacement of the notochord
(nc) to the uninjected side, and the absence of the contralateral
myotome, which has undergone normal degeneration. Bars,
50 um. |
|
FIG. 15. Arresting postgastrulation cell division does not prevent the
formation of extra myotomal muscle. Cross section of a stage 32/33
XMyoD RNA-injected (7.5 ng, 2-cell stage) embryo treated with HUA
(see Materials and Methods) and stained with 5C5 antibody showing
an enlarged left myotome (m) on the injected side. nc, notochord. Bar,
37 um. |
|
FIG. 16. Overexpression of XMyoD in the Dl blastomere induces
some cells of the Dl lineage to differentiate into muscle (12/101 antigen
expression) within the lateral plate and myotomes. (A) Cross sec
tion through the anterior spinal chord (sc) region of a stage 35/36 control
embryo injected with 2.5 ng of nP-Gal RNA showing the normal
lineage of the D1 blastomere. The localized {j-Gal activity (blue staining)
in the primitive gut represents the distribution of cells derived
from the Dl blastomere. Immunohistochemical staining (dark purple)
shows the restriction of the 12/101 antigen to the myotomes. (B) Cross
section at the level of the hindbrain (h) of a stage 35/36 embryo coinjected
with XMyoD and n~-Gal RNA (3.5 and 0.5 ng, respectively) into
the Dl blastomere. Ectopic 12/ lOllabeling (purple; arrow) is detected
in cells derived from the Dl blastomere (blue). The enlarged myotome
(m) on the side of injection contains a population of cells derived from
the Dl blastomere (blue) which are positive for the 12/101 antigen
(purple; arrowhead). Note that some {]-Gal-positive cells are 12/101
muscle antigen negative. nc, notochord. Bars, 45 um |