Click here to close
Hello! We notice that you are using Internet Explorer, which is not supported by Xenbase and may cause the site to display incorrectly.
We suggest using a current version of Chrome,
FireFox, or Safari.
The early development of the frog retinotectal projection.
Taylor JS.
???displayArticle.abstract???
The guidance of retinal ganglion cell axons has been investigated in embryos of the frog Xenopus. During the initial development of the brain a series of axon tracts are laid down forming a basic 'scaffold' or framework. Retinal axons grow through one of these tracts, the tract of the post-optic commissure (tPOC). This is the only tract that extends through the rostral part of the brain at these early stages of development. The origin and development of the tPOC has been studied using antibodies which label neurons at their earliest stages of differentiation. The first sign of the tPOC is a chain of neurons which differentiate simultaneously in the caudolateral part of the diencephalon. Axons from these neurons grow the short distance between adjacent cells interlinking the chain to form a descending tract. A series of other axon projections are then added to the tPOC, each of which is segregated into a particular subregion of the tract. Retinal axons are added to the tract approximately 18 h after its formation. They grow in the sub-pial part of the tract and always occupy the rostral-most edge. Retinal axons follow the tract to the region of the developing tectum where they leave, turn dorsally, and terminate. The reliance of retinal axons on this pre-existing pathway has been demonstrated by experimentally altering the course of the tPOC during its early development. The caudo-lateral wall of the diencephalon has been rotated through 90 degrees at a stage just before the tPOC neurons differentiate. Confirmation of the predicted alteration in the course of the tPOC has been made using immunocytochemistry. In such manipulated brains, retinal axons maintain their strong affinity for the rostral edge of the tPOC, following its altered course through the diencephalon.
Fig. 1. (A) Ventral view of a stage 34 brain with HRP-labelled axons from the left eye leaving the optic stalk (OS) and
passing through the optic chiasm (OC). Growth cones of these axons are clearly visible (arrowheads). Scale bar, 50,um.
(B) Lateral view of a stage 39 brain showing the course of HRP-labelled retinal axons in the optic tract (OT). The retinal
axons follow a well defined course through the diencephalon heading directly to the optic tectum (T), where the retinal
axons arborise. Scale bar, 100um.
Fig. 2. (A) Semi-thin section, cut transversely through the
optic tract of a stage 35 brain, showing the HRP-labelled
retinal axons (arrowhead), fasciculating with the unlabelled
axons of the tPOC. The retinal axons are confined to the
rostral-most edge of the tPOC. Scale bar, 10 ^m.
(B) Electronmicrograph of HRP-labelled retinal axons and
their growth cones in the rostral part of the tPOC in a
stage 39 brain. There is no structural barrier separating the
retinal axons from other components of the tPOC. The
filopodia of the growth cones are in contact with other
axons of the tract and with the end-feet of neuroepithelial
cells at the pial margin (P). N, nucleus of neuroepithelial
cell. Scale bar, 5 um.
Fig. 3. (A) Ventral view of a stage 24 embryo showing a chain of early differentiating cells (arrows) labelled with antigoldfish
GFAP. The line of cells run from the rostral end of the brain, around the optic stalks (os) and through the
diencephalon. E, eye cup; R, rostral. Scale bar, 100 j.im. (B) A slightly squashed, stage 28 brain, seen in lateral view
showing the early axon pathways labelled with HNK-1. The chain of cells in the lateral diencephalon (arrows) has become
inter-linked with axons running from a prominent cluster of cells in the midbrain flexure (mf) around to the rostral end of
the brain (R). The tract is continuous caudally with the ventrolateral tract of the hindbrain (vlt). At the mid-line, axons
cross from one tPOC to the other forming the post-optic commissure (poc). Axons from the pineal join the tPOC rostral to
the flexure via the dorsoventral diencephalic tract (dvdt). Further caudally, the axons of the trigeminal and dorsal sensory
tracts are apparent (V) and commissural fibres (com) can be seen in the ventral part of the hindbrain. Scale bar, 100urn.
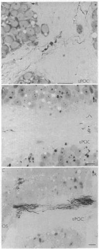
Fig. 4. Semi-thin horizontal sections through the ventral
diencephalon of stage 35 brains in which the
olfactopeduncular, ascending hindbrain, and retinal
components of the tPOC have been labelled with HRP.
(A) Olfactory axons enter the tPOC at an oblique angle
and cross through the other axons of the tPOC to reach
their normal position at the caudal edge of the tract.
(B) Hindbrain ascending axons lie in the central region of
the tract where they have a loose distribution. (C) Retinal
axons occupy the rostral edge of the tract. R, rostral;
tPOC, tract of the post-optic commissure; OS, optic stalk.
Scale bars, 10 um.
Fig. 5. (A) HRP-labelled retinal axons which have grown
directly towards the position of a rostrally transposed tectal
rudiment in a stage 39 brain, P, pineal, T, transposed
tectum. (B) HRP-labelled axons from a grafted eye, which
having entered the brain (arrow) just caudal to the tectum
(T), turned caudally and followed a well defined route
through the hindbrain (Hb). (C) HRP-labelled axons, from
a grafted eye, which have entered the brain just rostral to
the tectum (arrow). Rather than terminating, these axons
tipped with growth cones (arrowheads) have ignored the
tectum (T) and have grown the 'wrong-way' down the optic
tract. P, pineal. Scale bars, 100;um.
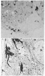
Fig. 6. HNK-1 staining of the tPOC in a stage 28 brain
which has had the lateral part of the diencephalon (graft
indicated by arrows) rotated by 90° in an anti-clockwise
direction. The stained axons and cells of the tPOC that lie
within the graft can be seen to lie perpendicular to the
normal course of the tPOC (arrowheads). P, pineal; dvdt,
dorsolateral diencephalic tract; OS, hole left by removal of
eye cup and optic stalk; MF, midbrain flexure. Scale bar,
100 um.