Click here to close
Hello! We notice that you are using Internet Explorer, which is not supported by Xenbase and may cause the site to display incorrectly.
We suggest using a current version of Chrome,
FireFox, or Safari.
???displayArticle.abstract???
A monoclonal antibody, 2G9, has been identified and characterised as a marker of neural differentiation in Xenopus. The epitope is present throughout the adult central nervous system and in peripheral nerves. Staining is first detected in embryos at stage 21 in the thoracic region. By stage 29 it stains the whole central nervous system, except the tail tip. The epitope is present in a 65K Mr protein, and includes sialic acid. The antibody also reacts with neural tissue in mice and axolotls and newts. 2G9 was used to show that both notochord and somites are capable of neural induction, and the stimulus is present as late as stage 22. Attempts to demonstrate the induction of nervous system by developing nervous system (homoiogenetic induction) were unsuccessful. The view that the lateral extent of the nervous system might be determined by that of the inductive stimulus is discussed. Neural induction was detected as early as stage 10 and occurs in embryos without gastrulation and without cell division from stage 7 1/2.
Fig. 1. Whole mount or cryostat-sectioned normal embryos or homoiogenetic sandwich combinations, stained with the anti-nervous system monoclonal 2G9. Monoclonal 2G9 cell supernatant was used as the primary antibody and peroxidase-linked rabbit anti-mouse IgG as the secondary antibody. (A-E) Progressive staining of the nervous system with developmental stage, initiating in the anterior thoracic region and moving both anteriorly and posteriorly as development proceeds. (A) A cryostat section of a stage 21 embryo just as the 2G9 antigen starts to appear. (B-D) Whole-mount immunostained embryos following the procedure described by Dent et al. (1989). (B) A field of embryos from stage 26-28, (C) a stage 28 embryo at higher magnification and (D) a stage 26 negative control carried out by omitting the anti-nervous system antibody. (E) A cryostat section from a stage 45 embryo showing the characteristic staining pattern. (F) The result of a homoiogenetic gTaft made by sandwiching stage 15 X. borealis nervous system into stage 10-10i ectoderm from X. laevis. The nervous system staining using rhodamineconjugated rabbit antimouse IgG, arrowed, is totally confined to the donor tissue, indicating the absence of homoiogenetic induction in this series of experiments (see Table 3). (G) The same section as in F stained with quinacrine, proving all the cells within the staining nervous tissue are from the donor X. borealis cells, showing their characteristic punctate staining absent from X. laevis. Bars: A,E=50um; B=0.9mm; C,D=0.29mm; F,G=50um.
Fig. 2. Western blot of the antigen detected by the
monoclonal antibody 2G9. Brains were manually dissected
from anaesthetised stage 41 and 50 X. laevis tadpoles or
from adult frogs and homogenised directly into SDS sample
buffer. Loadings corresponding to up to i of a stage 41 or
stage 50 brain (track labelled 41 or 50 respectively), or 1/25
of an adult brain (track labelled adult) were run on a 12 %
SDS-polyacrylamide gel and blotted onto nitrocellulose
filtures. Filters were stained with 2G9 hybridoma
supernatant and peroxidase-linked rabbit anti-mouse IgG
and peroxidase-linked goat anti-rabbit IgG and developed
with 4-chloro-l-naphthol. A control filter loaded with half a
stage 50 brain (c) was stained with PBS followed by
peroxidase-linked components only. This track was
completely blank.
Fig. 3. Homoiogenetic induction; grafting of neural plate into ventral regions of intact embryos. Dorsal ectoderm from stage Hi X. borealis embryos was grafted ventrally into the ectoderm of stage 11 X. laevis hosts. Grafted embryos were cultured until stage 35, fixed and stained as described in Materials and methods. (A) Small ventral nervous system derived from X. borealis donor graft stained with 2G9. (B) Epidermis adjacent to the graft staining normally with the epidermal marker 2F7.C7. (C) Quinacrine staining of the same region showing that no host (X. laevis) cells participate in the grafted nervous system. Bar=50um
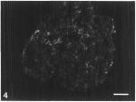
Fig. 4. Neural induction has already started by stage 10.
Ectoderm from the dorsal region of stage 10, already
underlain by invaginating dorsal mesoderm, was dissected
away from underlying tissue and incubated until control
embryos reached stage 35. Explants were fixed, embedded
and sectioned as described in Materials and methods before
staining with 2G9- and FTTC-conjugated rabbit anti-mouse
IgG. Bar=50um.
Fig. 5. Neural induction occurs in cytochalasin-treated
embryos. Whole embryos, within their vitelline membranes,
were incubated in cytochalasin B (lO,ugml- 1) to inhibit
cytokinesis, until control embryos reached stage 35. Treated
embryos were fixed, embedded sectioned and stained with
2G9 as previously described. A small area of staining
(arrowed) is evident in the animal pole cells. Bar=25 um.