Click here to close
Hello! We notice that you are using Internet Explorer, which is not supported by Xenbase and may cause the site to display incorrectly.
We suggest using a current version of Chrome,
FireFox, or Safari.
???displayArticle.abstract??? Sperm-mediated transgenesis of Xenopus laevis is the first application of genetic methodology to an amphibian. However, some transgenes are lethal when they are expressed constitutively. To study the influence of these genes on amphibian metamorphosis and to generate F1 progeny from mature transgenic adults, these transgenes must be placed under the control of an inducible system so that they can be activated at specific times in development. We show that two well known binary inducible gene expression systems supplement transgenesis for the study of X. laevis metamorphosis, one system controlled by the progesterone analogue RU-486 and the other controlled by the tetracycline derivative doxycycline. By inducing a dominant negative form of the thyroid hormone receptor under the control of doxycycline specifically in the nervous system we have delimited the developmental periods within which thyroid hormone controls innervation of the developing limb from the spinal cord.
Fig 2. Inducibility and tissue-specific expression of the Tet system in trans- genic Xenopus F0 and F1 tadpoles. Expression of the GFP reporter gene in a 1-week-old F0 transgenic animal before (a) and after (b) 12 h of treatment with 5 ug/ml Dox. (c) Luciferase activity in the tail extracts of 11 different F0 transgenic animals before (solid bar) and after (open bar) induction with 5 ug/ml Dox for 48 h. Tissue-specific expression in 1-week-old tadpoles induced with 5 ug/ml Dox using the NBetaT (d) and cardiac actin (e) promoters driving inducible GFP. [Bars = 500 um (a, b, and e) and 200 um (d).]
Fig 3. Kinetics of induction in the brain of the TRDN/GFP fusion protein transgene driven by the NBetaT promoter. Dox (50 ug/ml) was added to the rearing water. The same animal before induction (a), after 12 h of Dox induction (b), and 24 h after withdrawal of Dox (c). (The left is anterior in all images.) (Bars = 500 um.)
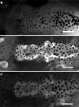
TH-induced proliferation of the cells that line the brain ventricle was monitored by anti-PH3 staining (bright spots) in 1-week-old transgenic tad- poles after 4 days of treatment with 10 nM 3,5,3'-triiodothyronine (a), 10 nM 3,5,3'-triiodothyronine plus 50 ug/ml Dox (b), or untreated tadpoles (c). (The left is anterior in all images.) (Bars = 500 um.)
Brasier,
Optimized use of the firefly luciferase assay as a reporter gene in mammalian cell lines.
1989, Pubmed
Brasier,
Optimized use of the firefly luciferase assay as a reporter gene in mammalian cell lines.
1989,
Pubmed Breitman,
Genetic ablation: targeted expression of a toxin gene causes microphthalmia in transgenic mice.
1987,
Pubmed Das,
Multiple thyroid hormone-induced muscle growth and death programs during metamorphosis in Xenopus laevis.
2002,
Pubmed
,
Xenbase de Luze,
Thyroid hormone-dependent transcriptional regulation of exogenous genes transferred into Xenopus tadpole muscle in vivo.
1993,
Pubmed
,
Xenbase Gossen,
Tight control of gene expression in mammalian cells by tetracycline-responsive promoters.
1992,
Pubmed Gossen,
Transcriptional activation by tetracyclines in mammalian cells.
1995,
Pubmed HUGHES,
Cell degeneration in the larval ventral horn of Xenopus laevis (Daudin).
1961,
Pubmed
,
Xenbase Kroll,
Transgenic Xenopus embryos from sperm nuclear transplantations reveal FGF signaling requirements during gastrulation.
1996,
Pubmed
,
Xenbase Marsh-Armstrong,
Thyroid hormone controls the development of connections between the spinal cord and limbs during Xenopus laevis metamorphosis.
2004,
Pubmed
,
Xenbase Marsh-Armstrong,
Germ-line transmission of transgenes in Xenopus laevis.
1999,
Pubmed
,
Xenbase Marsh-Armstrong,
Asymmetric growth and development of the Xenopus laevis retina during metamorphosis is controlled by type III deiodinase.
1999,
Pubmed
,
Xenbase Prestige,
The control of cell number in the lumbar ventral horns during the development of Xenopus laevis tadpoles.
1967,
Pubmed
,
Xenbase Schreiber,
Diverse developmental programs of Xenopus laevis metamorphosis are inhibited by a dominant negative thyroid hormone receptor.
2001,
Pubmed
,
Xenbase Smith,
CREB binding protein acts synergistically with steroid receptor coactivator-1 to enhance steroid receptor-dependent transcription.
1996,
Pubmed Tata,
Early metamorphic competence of Xenopus larvae.
1968,
Pubmed
,
Xenbase Turner,
Expression of achaete-scute homolog 3 in Xenopus embryos converts ectodermal cells to a neural fate.
1994,
Pubmed
,
Xenbase Urlinger,
Exploring the sequence space for tetracycline-dependent transcriptional activators: novel mutations yield expanded range and sensitivity.
2000,
Pubmed Wang,
A regulatory system for use in gene transfer.
1994,
Pubmed