XB-ART-56985
Hum Mol Genet
2020 Jul 29;2912:2076-2097. doi: 10.1093/hmg/ddaa096.
Show Gene links
Show Anatomy links
The Tudor-domain protein TDRD7, mutated in congenital cataract, controls the heat shock protein HSPB1 (HSP27) and lens fiber cell morphology.
Barnum CE, Al Saai S, Patel SD, Cheng C, Anand D, Xu X, Dash S, Siddam AD, Glazewski L, Paglione E, Polson SW, Chuma S, Mason RW, Wei S, Batish M, Fowler VM, Lachke SA.
???displayArticle.abstract???
Mutations of the RNA granule component TDRD7 (OMIM: 611258) cause pediatric cataract. We applied an integrated approach to uncover the molecular pathology of cataract in Tdrd7-/- mice. Early postnatal Tdrd7-/- animals precipitously develop cataract suggesting a global-level breakdown/misregulation of key cellular processes. High-throughput RNA sequencing integrated with iSyTE-bioinformatics analysis identified the molecular chaperone and cytoskeletal modulator, HSPB1, among high-priority downregulated candidates in Tdrd7-/- lens. A protein fluorescence two-dimensional difference in-gel electrophoresis (2D-DIGE)-coupled mass spectrometry screen also identified HSPB1 downregulation, offering independent support for its importance to Tdrd7-/- cataractogenesis. Lens fiber cells normally undergo nuclear degradation for transparency, posing a challenge: how is their cell morphology, also critical for transparency, controlled post-nuclear degradation? HSPB1 functions in cytoskeletal maintenance, and its reduction in Tdrd7-/- lens precedes cataract, suggesting cytoskeletal defects may contribute to Tdrd7-/- cataract. In agreement, scanning electron microscopy (SEM) revealed abnormal fiber cell morphology in Tdrd7-/- lenses. Further, abnormal phalloidin and wheat germ agglutinin (WGA) staining of Tdrd7-/- fiber cells, particularly those exhibiting nuclear degradation, reveals distinct regulatory mechanisms control F-actin cytoskeletal and/or membrane maintenance in post-organelle degradation maturation stage fiber cells. Indeed, RNA immunoprecipitation identified Hspb1 mRNA in wild-type lens lysate TDRD7-pulldowns, and single-molecule RNA imaging showed co-localization of TDRD7 protein with cytoplasmic Hspb1 mRNA in differentiating fiber cells, suggesting that TDRD7-ribonucleoprotein complexes may be involved in optimal buildup of key factors. Finally, Hspb1 knockdown in Xenopus causes eye/lens defects. Together, these data uncover TDRD7's novel upstream role in elevation of stress-responsive chaperones for cytoskeletal maintenance in post-nuclear degradation lens fiber cells, perturbation of which causes early-onset cataracts.
???displayArticle.pubmedLink??? 32420594
???displayArticle.pmcLink??? PMC7390939
???displayArticle.link??? Hum Mol Genet
???displayArticle.grants??? [+]
R01 EY021505 NEI NIH HHS , P20 GM103446 NIGMS NIH HHS , R21 EY027389 NEI NIH HHS , P30 GM114736 NIGMS NIH HHS , R01 EY029770 NEI NIH HHS , S10 RR027273 NCRR NIH HHS , R01 EY017724 NEI NIH HHS , R01 EY032056 NEI NIH HHS
Species referenced: Xenopus laevis
Genes referenced: cdkn2b cdkn2c cdknx cryba1 hspb1 npat slc7a5 tcf3 tdrd7
???displayArticle.morpholinos??? hspb1 MO1
???displayArticle.disOnts??? cataract 36 [+]
???displayArticle.omims??? CATARACT 36; CTRCT36
Phenotypes: Xtr Wt + hspb1 MO(Fig 11 B, C row2,3, col 2,4, D E F)
???attribute.lit??? ???displayArticles.show???
|
|
Figure 1. Phenotypic characterization of Tdrd7â/â lens defects. (A) Light microscopy-based examination of ocular defects in postnatal (P) day 90 Tdrd7â/â mouse lenses. The control eye exhibits a normal iris and a clear lens (left panels), while Tdrd7â/â eye shows a flattened iris (top right panel, indicated with asterisk) and a smaller lens with posterior rupture and cataract (bottom right panel indicated with asterisk). Note: the dissected lenses in the bottom panel are balanced on their equator. (B) Histological analysis of control and Tdrd7â/â eye tissue at embryonic (E) 16.5 and postnatal (P) 4 and P30 stages. While the control lenses show no defects through P30, Tdrd7â/â lenses exhibit profound lens defects with 100% penetrance at P30. (C) Tdrd7â/â mice display visible eye and lens defects by P22. Light microscopy of control and Tdrd7â/â eye and lens indicates no discernable difference at P18. However, at P22, Tdrd7â/â mice exhibit a flattened iris (asterisk) and cataract (asterisk, right image middle panel) at 100% penetrance. Furthermore, lens defects in Tdrd7â/â mice are also detected by histological analyses at P22. |
|
|
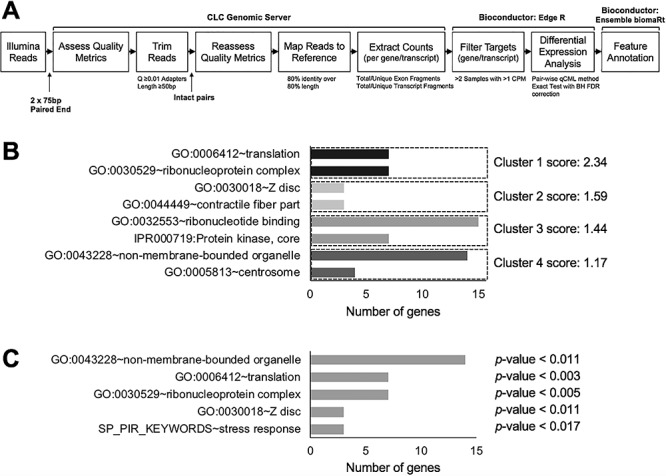
Figure 2. RNA-Seq analysis of Tdrd7â/â lens. (A) Bioinformatics pipeline for analyzing RNA-Sequencing data; delineating various steps for quality control, adaptor removal, sequence integrity, sequence mapping, estimating counts per transcript and differential analysis. (B) Gene ontology (GO) analysis of 49 differentially expressed genes with fold change (FC) >1.5 and FPKM >10 expression in lens tissue. (C) GO analysis of 85 differentially expressed genes with FC >1.5 and FPKM >â5 expression in lens tissue. (C) GO analysis of 168 differentially expressed genes with FC >1.5 and FPKM >â2 expression in lens tissue. |
|
|
Figure 3. iSyTE-based analysis of Tdrd7â/â lens RNA-Seq data identifies Hspb1 among the high-priority candidates. (A) Flowchart of analysis of RNA-Seq data for the identification of high-priority candidate genes in Tdrd7â/â lens. (B) An integrated analysis using iSyTE lens expression and enrichment data along with functional annotation and GO enrichment of significant (FC ±1.5, P-value â¤â0.05) RNA-Seq differentially expressed genes (DEGs). GO categories for DEGs are indicated on the left. iSyTE-based expression and enrichment data at normal embryonic and postnatal lens development stages (E10.5, E12.5, E16.5 and P0) for the Tdrd7â/â lens DEGs are represented in the heat map diagram using âredâwhiteâgreenâ and âredâwhiteâwhiteâ color gradients, respectively. Lens expression of DEGs at early postnatal stage P0 over that at early embryonic stage E10.5 (expression in late versus early lens) is represented using âblueâwhiteâyellowâ color gradient. (C) Pearson correlation heat map of candidate genes based on iSyTE wild-type lens expression data across the four developmental stages. The integrated approach outlined in (AâC) applies GO category enrichment as well as iSyTE-based analysis of DEGs and associates Hspb1 as a top priority candidate gene (criteria: expression score in normal lens >2000, enrichment score in normal lens >â4.0, differential expression in Tdrd7â/â lens >1.5-fold change, P-value <0.05). (D) RT-qPCR analysis of Hspb1 validates its downregulation in Tdrd7â/â lenses at stages P4 and P15. Asterisk indicates P-value <0.01. |
|
|
Figure 4. 2D-DIGE proteome screen identifies HSPB1 protein to be downregulated in Tdrd7â/â lens. (A and B) 2D-DIGE analysis showed that protein coinciding with âspot 951â was downregulated in Tdrd7â/â lens. (C) Abundance of spot 951 (later identified as HSPB1 protein) was significantly reduced in P15 Tdrd7â/â lens (asterisk represents P-value of 0.039). (D) Spot 951 and a reference spot (later identified as CRYBA1) was picked up for LC-MS/MS-based identification. (E) LC-MS/MS identified spot 951 as mouse HSPB1 with a 100% protein CI as well as a 100% Best Ion CI, while the reference spot was identified as CRYBA1. (F) Western blot confirmed the reduction of HSPB1 protein in Tdrd7â/â lenses compared to control. |
|
|
Figure 5. Scanning electron microscopy demonstrates Tdrd7â/â lenses have abnormal fiber cell morphology. Scanning electron microscopy (SEM) was performed to visualize cortical fiber cells for control and Tdrd7â/â lenses at stages P18 and P28. While the control appeared normal, abnormal fiber cell morphology (asterisk) was observed in Tdrd7â/â lenses at both P18 and P28. |
|
|
Figure 6. Phalloidin staining for F-actin demonstrates abnormal cellular morphology specifically in fiber cells after nuclear degradation in Tdrd7â/â lenses. (A) Diagram of a lens (left) with the cross-sectional plane (red) through the lens equator. Schematic of the resulting lens equatorial cross section (right) wherein epithelial cells are located at the periphery and hexagonal morphology of fiber cells is visualized. Early to late maturation stages of differentiating fiber cells are indicated, along with the organelle-free zone. (B) Control and Tdrd7â/â lens sections at P15 were stained with phalloidin to visualize F-actin. DNA was visualized by Hoechst stain. Images from comparable areas representative of early to late fiber differentiation and maturation (left to right) are shown for control and Tdrd7â/â lenses. There is no discernable difference in young differentiating and maturing lens fiber cells (left-most panel and left-half of the second panel) between control and Tdrd7â/â lenses. However, coinciding with nuclear degradation (asterisk), fiber cells in Tdrd7â/â lens showed abnormal F-actin distribution, indicative of abnormal fiber cell morphology as compared to control (second panel). (C) Zoom-in of middle image panels shows abnormal fiber cell morphology and F-actin distribution coinciding with nuclear degradation (asterisk) and beyond in Tdrd7â/â lens. |
|
|
Figure 7. WGA and F-actin staining demonstrates abnormal membrane morphology and fiber cell organization specifically in fiber cells with nuclear degradation in Tdrd7â/â lenses. Control and Tdrd7â/â lens sections at mouse stage P15 were stained with wheat germ agglutinin (WGA) and phalloidin to visualize cellular membrane and F-actin, respectively. Hoechst stain was used to visualize DNA. Images from comparable areas representative of early to late fiber differentiation and maturation (left to right) are shown for both control and Tdrd7â/â lenses. While there is no discernable difference in young differentiation and maturing lens fiber cells at the lens periphery (left-most panel and left-half of the second panel) between control and Tdrd7â/â lenses, fiber cells showed abnormal WGA staining and abnormal fiber cell morphology in the Tdrd7â/â lens, coinciding with nuclear degradation (arrowheads), compared to control (second panel). |
|
|
Figure 8. HSPB1 protein staining in fiber cells increases during normal lens development but is reduced in Tdrd7â/â lens fiber cells. (A) To examine HSPB1 protein expression in normal mouse lens development, immunostaining with HSPB1 antibody was performed on sagittal sections of wild-type mouse embryonic lenses E12.5 and E14.5 and postnatal lenses at P0 and P15. HSPB1 is progressively expressed in lens fiber cells during development (asterisk). (B) Cross sections of control and Tdrd7â/â P15 lenses were immunostained with HSPB1 antibody. Reduction in HSPB1 protein staining in Tdrd7â/â fiber cells that have lost their nuclei is indicated by asterisk. DNA (blue) is stained by DAPI. Scale bar indicates 20 μm. Abbreviation: e, anterior epithelium of the lens; f, fiber cells; r, retina. |
|
|
Figure 9. TDRD7 protein associates with Hspb1 mRNA in the lens. RNA immunoprecipitation (RIP) analysis using TDRD7 antibody was performed for wild-type mouse lenses at stage P15. This was followed by (A) RT-PCR and (B) RT-qPCR analysis, both of which demonstrate that Hspb1 mRNA is enriched in TDRD7 pulldowns compared to control. Asterisk indicates P-value <0.05. |
|
|
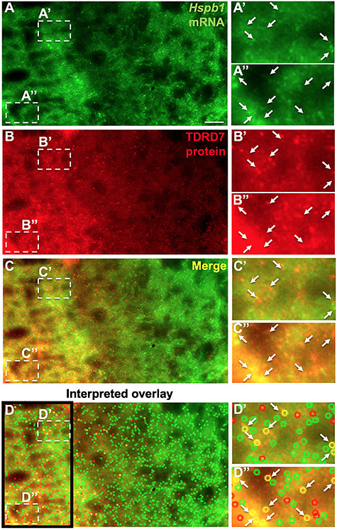
Figure 10. Single-molecule fluorescence in situ hybridization (smFISH) coupled with immunostaining demonstrates TDRD7 protein to co-localize with Hspb1 mRNA in lens fiber cells. (A) Wild-type mouse lens at stage P15 was stained with complementary RNA probes specific to Hspb1 mRNA (green), (B) along with immunostaining for TDRD7 protein (red). (C) Merged image of the co-staining (yellow) and (D) analysis of significant co-localization of Hspb1 mRNA and TDRD7 protein using custom-written MATLAB program as described in Methods (colored open circles). (Aâ-Dâ) shows zoom-in of regions indicated by broken-line boxes in AâD. Arrows indicate co-localizing elements scored by the MATLAB analysis. |
|
|
Figure 11. Hspb1 knockdown in X. tropicalis causes eye and lens defects. (A) Flowchart of X. tropicalis assay and phenotypic scoring. (B) Representative images of un-injected and injected side of X. tropicalis embryos injected with either control MO, Hspb1 MO or Hspb1 MO together with mouse Hspb1 mRNA (mHspb1). (C) Zoom-in images of white-dotted area in (B). (D) Chart showing the distribution of ocular defects in X. tropicalis embryos injected with either control MO, Hspb1 MO or Hspb1 MO together with mHSPB1 mRNA. The number of embryos for the different conditions is indicated on top. Black asterisk represents significant differences in the observed number of eye defects between the different conditions. For the control MO versus Hspb1 MO comparison, the P-value is 4.54 Ã 10â6, and for the Hspb1 MO versus Hspb1 MOâ+âmHspb1 mRNA comparison, the P-value is 1.38 Ã 10â6. The control MO versus Hspb1 MOâ+âmHSpb1 mRNA comparison is not significant (P-valueâ=â0.55). (E) Histology analysis-based images and (F) DAPI-stained images of sections of un-injected and Hspb1 MO injected X. tropicalis embryos. White asterisk represents small eye/lens defects in Hspb1 MO-injected side of embryos. Black asterisks in (C), (E) and (F) represent rescue of eye defects in Hspb1 MOâ+âmHspb1 mRNA-injected side of embryos. In (E) and (F), the lens is indicated by a white-dotted area. |
|
|
Figure 12. Models for TDRD7 function in lens development and cataractogenesis. The following models are proposed to explain the temporal and the cell and molecular basis of the lens defects and cataract observed in Tdrd7â/â mice. (A) Overlay of temporal aspects of Tdrd7â/â lens defects, at a molecular and phenotypic level, corresponding to wild-type expression of the TDRD7 target mRNA Hspb1, a heat shock protein associated with F-actin under stress conditions, in normal mouse lens development. iSyTE microarray-based expression analysis of wild-type lenses shows that mRNA expression of Hspb1 upregulates before slight downregulation, but yet maintaining relatively high levels in postnatal wild-type lens development. Interestingly, Tdrd7â/â lenses show reduced levels of Hspb1 mRNA at early postnatal stages (RNA-Seq, RT-qPCR data), several days prior to morphological detection of the lens cellular defects. Furthermore, HSPB1 protein levels remain low in Tdrd7â/â lenses in later postnatal stages at P15 (proteome, western, immunofluorescence data), just prior to the initial detection of the defect at the cellular level (SEM at P18) or the gross morphological level (overt cataract at P22). The timing of expression of the lens defects in Tdrd7â/â mice coincides with the timing of normal upregulation of Hspb1 in wild-type postnatal lens development and therefore may reflect the disruption of the expression dynamics of this F-actin-associated protein upon TDRD deficiency. (B) Based on the current molecular and phenotypic data, including the critical observation that Tdrd7â/â mice show abnormal cellular morphology particularly in fiber cells after nuclear degradation, the following model is proposed. The association of TDRD7 protein with Hspb1 mRNA ensures its elevated levels, which translate into high levels of HSPB1, a heat shock molecular chaperone protein necessary for F-actin stability in cells subjected to stress. TDRD7-based elevated levels of HSPB1 protein may function in the maintenance of normal F-actin distribution and cellular morphology in late maturation stage fiber cells, which can be considered a stress-like condition as they undergo nuclear degradation. |
References [+] :
Agrawal,
Compound mouse mutants of bZIP transcription factors Mafg and Mafk reveal a regulatory network of non-crystallin genes associated with cataract.
2015, Pubmed
Agrawal, Compound mouse mutants of bZIP transcription factors Mafg and Mafk reveal a regulatory network of non-crystallin genes associated with cataract. 2015, Pubmed
Anand, Mutation update of transcription factor genes FOXE3, HSF4, MAF, and PITX3 causing cataracts and other developmental ocular defects. 2018, Pubmed
Anand, An integrative approach to analyze microarray datasets for prioritization of genes relevant to lens biology and disease. 2015, Pubmed
Anand, Systems biology of lens development: A paradigm for disease gene discovery in the eye. 2017, Pubmed
Anand, RNA sequencing-based transcriptomic profiles of embryonic lens development for cataract gene discovery. 2018, Pubmed
Anantharaman, OST-HTH: a novel predicted RNA-binding domain. 2010, Pubmed
Anderson, Stress granules, P-bodies and cancer. 2015, Pubmed
Anderson, RNA granules: post-transcriptional and epigenetic modulators of gene expression. 2009, Pubmed
Andley, In vivo substrates of the lens molecular chaperones αA-crystallin and αB-crystallin. 2014, Pubmed
Arrigo, Mammalian HspB1 (Hsp27) is a molecular sensor linked to the physiology and environment of the cell. 2017, Pubmed
Arvanitis, Genome-wide association and multi-omic analyses reveal ACTN2 as a gene linked to heart failure. 2020, Pubmed
Bassnett, On the mechanism of organelle degradation in the vertebrate lens. 2009, Pubmed
Bassnett, Biological glass: structural determinants of eye lens transparency. 2011, Pubmed
Batish, Single molecule imaging of RNA in situ. 2011, Pubmed
Batish, Neuronal mRNAs travel singly into dendrites. 2012, Pubmed
Bayer, Single-Molecule RNA In Situ Hybridization (smFISH) and Immunofluorescence (IF) in the Drosophila Egg Chamber. 2015, Pubmed
Bermejo, Congenital eye malformations: clinical-epidemiological analysis of 1,124,654 consecutive births in Spain. 1998, Pubmed
Bloemendal, Interaction of crystallins with the cytoskeletal-plasma membrane complex of the bovine lens. 1984, Pubmed
Brown, Differential binding of mutant (R116C) and wildtype alphaA crystallin to actin. 2007, Pubmed
Buchan, mRNP granules. Assembly, function, and connections with disease. 2014, Pubmed
Bushell, Translation inhibition during the induction of apoptosis: RNA or protein degradation? 2004, Pubmed
Callebaut, LOTUS, a new domain associated with small RNA pathways in the germline. 2010, Pubmed
Castello, Insights into RNA biology from an atlas of mammalian mRNA-binding proteins. 2012, Pubmed
Cavalheiro, N-myc regulates growth and fiber cell differentiation in lens development. 2017, Pubmed
Chen, Molecular Genetic Analysis of Pakistani Families With Autosomal Recessive Congenital Cataracts by Homozygosity Screening. 2017, Pubmed
Chen, Deciphering arginine methylation: Tudor tells the tale. 2011, Pubmed
Cheng, The lens actin filament cytoskeleton: Diverse structures for complex functions. 2017, Pubmed
Clark, Lens cytoskeleton and transparency: a model. 1999, Pubmed
Clarke, Cell stress promotes the association of phosphorylated HspB1 with F-actin. 2013, Pubmed
Cuesta, Chaperone hsp27 inhibits translation during heat shock by binding eIF4G and facilitating dissociation of cap-initiation complexes. 2000, Pubmed
Cvekl, Signaling and Gene Regulatory Networks in Mammalian Lens Development. 2017, Pubmed
Cvekl, The cellular and molecular mechanisms of vertebrate lens development. 2014, Pubmed
Dahm, Lens fibre cell differentiation - A link with apoptosis? 1999, Pubmed
Dash, The master transcription factor SOX2, mutated in anophthalmia/microphthalmia, is post-transcriptionally regulated by the conserved RNA-binding protein RBM24 in vertebrate eye development. 2020, Pubmed
Dash, Deficiency of the RNA binding protein caprin2 causes lens defects and features of Peters anomaly. 2015, Pubmed
Dash, RNA-binding proteins in eye development and disease: implication of conserved RNA granule components. 2016, Pubmed
Del Vecchio, Association of alpha-crystallin with actin in cultured lens cells. 1984, Pubmed
Deng, Molecular genetics of congenital nuclear cataract. 2014, Pubmed
Disatham, Lens differentiation is characterized by stage-specific changes in chromatin accessibility correlating with differentiation state-specific gene expression. 2019, Pubmed
Doshi, The role of Hsp27 and actin in the regulation of movement in human cancer cells responding to heat shock. 2009, Pubmed
Doshi, HSPB1, actin filament dynamics, and aging cells. 2010, Pubmed
Durinck, Mapping identifiers for the integration of genomic datasets with the R/Bioconductor package biomaRt. 2009, Pubmed
Finehout, Comparison of automated in-gel digest methods for femtomole level samples. 2003, Pubmed
FitzGerald, Ultrastructural localization of alpha A-crystallin to the bovine lens fiber cell cytoskeleton. 1991, Pubmed
Fritzsche, Interactome of two diverse RNA granules links mRNA localization to translational repression in neurons. 2013, Pubmed
Gopalakrishnan, Binding of actin to lens alpha crystallins. 1992, Pubmed
Graw, Mouse models of cataract. 2009, Pubmed
Haargaard, Incidence and cumulative risk of childhood cataract in a cohort of 2.6 million Danish children. 2004, Pubmed
Haargaard, Risk factors for idiopathic congenital/infantile cataract. 2005, Pubmed
Hawse, Identification and functional clustering of global gene expression differences between human age-related cataract and clear lenses. 2003, Pubmed
Hoehenwarter, Eye lens proteomics. 2006, Pubmed
Horwitz, Alpha-crystallin can function as a molecular chaperone. 1992, Pubmed
Horwitz, The ability of lens alpha crystallin to protect against heat-induced aggregation is age-dependent. 1992, Pubmed
Hosokawa, Tudor-related proteins TDRD1/MTR-1, TDRD6 and TDRD7/TRAP: domain composition, intracellular localization, and function in male germ cells in mice. 2007, Pubmed
Huang, Molecular characteristics of inherited congenital cataracts. 2010, Pubmed
Huang, Bioinformatics enrichment tools: paths toward the comprehensive functional analysis of large gene lists. 2009, Pubmed
Huang, Systematic and integrative analysis of large gene lists using DAVID bioinformatics resources. 2009, Pubmed
Ibitayo, HSP27 in signal transduction and association with contractile proteins in smooth muscle cells. 1999, Pubmed
Ito, Hsp27 suppresses the formation of inclusion bodies induced by expression of R120G alpha B-crystallin, a cause of desmin-related myopathy. 2003, Pubmed
Jeske, The Crystal Structure of the Drosophila Germline Inducer Oskar Identifies Two Domains with Distinct Vasa Helicase- and RNA-Binding Activities. 2015, Pubmed
Jeske, The LOTUS domain is a conserved DEAD-box RNA helicase regulator essential for the recruitment of Vasa to the germ plasm and nuage. 2017, Pubmed
Kakrana, iSyTE 2.0: a database for expression-based gene discovery in the eye. 2018, Pubmed
Kistler, Membrane interlocking domains in the lens. 1986, Pubmed
Koh, Cytoskeletal disruption and small heat shock protein translocation immediately after lengthening contractions. 2004, Pubmed
Kotani, Cyclin B1 mRNA translation is temporally controlled through formation and disassembly of RNA granules. 2013, Pubmed
Krall, A zebrafish model of foxe3 deficiency demonstrates lens and eye defects with dysregulation of key genes involved in cataract formation in humans. 2018, Pubmed
Kuhli-Hattenbach, Risk factors for complications after congenital cataract surgery without intraocular lens implantation in the first 18 months of life. 2008, Pubmed
Lachke, Mutations in the RNA granule component TDRD7 cause cataract and glaucoma. 2011, Pubmed
Lachke, iSyTE: integrated Systems Tool for Eye gene discovery. 2012, Pubmed
Lachke, Building the developmental oculome: systems biology in vertebrate eye development and disease. 2010, Pubmed
Lachke, RNA Granules and Cataract. 2011, Pubmed
Larkins, Influences of temperature, oxidative stress, and phosphorylation on binding of heat shock proteins in skeletal muscle fibers. 2012, Pubmed
Li, Xenopus ADAM19 regulates Wnt signaling and neural crest specification by stabilizing ADAM13. 2018, Pubmed , Xenbase
Li, Targeted deletion of Dicer disrupts lens morphogenesis, corneal epithelium stratification, and whole eye development. 2009, Pubmed
Linder, From unwinding to clamping - the DEAD box RNA helicase family. 2011, Pubmed
Mansouri, Deprivation amblyopia and congenital hereditary cataract. 2013, Pubmed
Markey, Fusion FISH imaging: single-molecule detection of gene fusion transcripts in situ. 2014, Pubmed
Modak, Detection and measurement of single-strand breaks in nuclear DNA in fixed lens sections. 1972, Pubmed
Mohapatra, Mutations in the muscle LIM protein and alpha-actinin-2 genes in dilated cardiomyopathy and endocardial fibroelastosis. 2003, Pubmed
Nowak, Tropomodulin1 is required for membrane skeleton organization and hexagonal geometry of fiber cells in the mouse lens. 2009, Pubmed
Nowak, Tropomodulin 1 constrains fiber cell geometry during elongation and maturation in the lens cortex. 2012, Pubmed
Padula, High-throughput transcriptome analysis reveals that the loss of Pten activates a novel NKX6-1/RASGRP1 regulatory module to rescue microphthalmia caused by Fgfr2-deficient lenses. 2019, Pubmed
Perng, Intermediate filament interactions can be altered by HSP27 and alphaB-crystallin. 1999, Pubmed
Pichi, Genetics of Congenital Cataract. 2016, Pubmed
Pivovarova, Small heat shock protein Hsp27 prevents heat-induced aggregation of F-actin by forming soluble complexes with denatured actin. 2007, Pubmed
Raju, Mutants of human αB-crystallin cause enhanced protein aggregation and apoptosis in mammalian cells: influence of co-expression of HspB1. 2013, Pubmed
Rao, The global burden of cataract. 2011, Pubmed
Robinson, Protective effect of phosphorylated Hsp27 in coronary arteries through actin stabilization. 2010, Pubmed
Robinson, edgeR: a Bioconductor package for differential expression analysis of digital gene expression data. 2010, Pubmed
Seit-Nebi, Commentary on paper: Small heat shock proteins and the cytoskeleton: an essential interplay for cell integrity? (Wettstein et al.). 2013, Pubmed
Shaham, Pax6 regulates gene expression in the vertebrate lens through miR-204. 2013, Pubmed
Sheeladevi, Global prevalence of childhood cataract: a systematic review. 2016, Pubmed
Shestopalov, Exogenous gene expression and protein targeting in lens fiber cells. 1999, Pubmed
Shiels, Cat-Map: putting cataract on the map. 2010, Pubmed
Shiels, Mutations and mechanisms in congenital and age-related cataracts. 2017, Pubmed
Siddam, The RNA-binding protein Celf1 post-transcriptionally regulates p27Kip1 and Dnase2b to control fiber cell nuclear degradation in lens development. 2018, Pubmed , Xenbase
Sinsimer, Chaperone Hsp27, a novel subunit of AUF1 protein complexes, functions in AU-rich element-mediated mRNA decay. 2008, Pubmed
Sive, Microinjection of RNA and preparation of secreted proteins from Xenopus oocytes. 2010, Pubmed , Xenbase
Somara, Tropomyosin interacts with phosphorylated HSP27 in agonist-induced contraction of smooth muscle. 2004, Pubmed
Tan, Loss-of-function mutations in TDRD7 lead to a rare novel syndrome combining congenital cataract and nonobstructive azoospermia in humans. 2019, Pubmed
Tanaka, Tudor domain containing 7 (Tdrd7) is essential for dynamic ribonucleoprotein (RNP) remodeling of chromatoid bodies during spermatogenesis. 2011, Pubmed
Ueda, Lens proteomics: the accumulation of crystallin modifications in the mouse lens with age. 2002, Pubmed
Wang, alpha-crystallin stabilizes actin filaments and prevents cytochalasin-induced depolymerization in a phosphorylation-dependent manner. 1996, Pubmed
Wolf, Identification and characterization of FGF2-dependent mRNA: microRNA networks during lens fiber cell differentiation. 2013, Pubmed
Wride, Lens fibre cell differentiation and organelle loss: many paths lead to clarity. 2011, Pubmed
Zhao, Profiling of chromatin accessibility and identification of general cis-regulatory mechanisms that control two ocular lens differentiation pathways. 2019, Pubmed
Zheng, RNA granule component TDRD7 gene polymorphisms in a Han Chinese population with age-related cataract. 2014, Pubmed
