|
Fig. 1. Specificity of Eya1 antibodies. AâF: Peptide competition assay for anti-Eya1 GP1 antibody. Transverse sections through the left otic vesicle of a Xenopus embryos at stage 20 analyzed in single confocal planes (dorsal to the top, medial to the right). Different channels of same section shown in A-C and D-F. Insets in A-C show expression of Eya1 in nuclei and cytoplasm in somites in another section. Arrows indicate nuclear expression in placodes, open arrows indicate nuclear expression in the surface layer of the ectoderm, arrowheads indicate nuclear expression in pharyngeal endoderm, open arrowheads indicate nuclear expression in somites. Asterisk indicates a sectioning artefact (tear). All domains of Eya1 immunostaining as evident in control embryos (A-C) are blocked after addition of Eya1 peptide (5 μg peptide/1 μg Eya1 antibody; D-F). Not: notochord; som: somite. Scale bar in A: 50 μm (for all panels). |
|
Fig. 2. Levels of sections. Approximate level and orientation of sections and figure and panel numbers are indicated on schematic drawings of Xenopus embryos at various stages of development The stage of the embryos sectioned and depicted in Fig. 2, Fig. 3, Fig. 4, Fig. 5, Fig. 6, Fig. 7, Fig. 8, Fig. 9, Fig. 10, Fig. 11, Fig. 12, Fig. 13, Fig. 14 and Fig. Suppl. 3â6 (S3âS6) is indicated in square brackets and deviates slightly from the stages depicted in the schematic drawings. Sensory ridges growing out of lateral line placodes are marked by brown arrowheads (C, D) or white asterisks (E) and are labelled with white letters in E. Hypobranchial placodes are labelled with orange asterisks in E. Abbreviations: Ad/Ol: anterior placodal area, from which adenohypophyseal (Ad) and olfactory placodes (Ol) develop; AV: anteroventral lateral line placode; cg: cement gland; Hp1: first hypobranchial placode; L: prospective lens placode (hatched outline), lens placode or lens (invagination of placode between stage 27 and 33/34); LL/Ot/EB: posterior placodal area, from which lateral line (LL), otic (Ot), and epibranchial (EB) placodes develop; M: middle lateral line placode; NC: neural crest; Ol: olfactory placode; Ot: otic placode or vesicle (invagination of placode between stage 24 and 33/34); P: posterior lateral line placode; PPE: preplacodal ectoderm; Pr: profundal placode; V: trigeminal placode; VII: facial epibranchial placode; IX: glossopharyngeal epibranchial placode; X1: first vagal epibranchial placode; X2/3: second and third vagal epibranchial placodes (fused). Drawings modified from Schlosser and Northcutt (2000) and Schlosser and Ahrens (2004). |
|
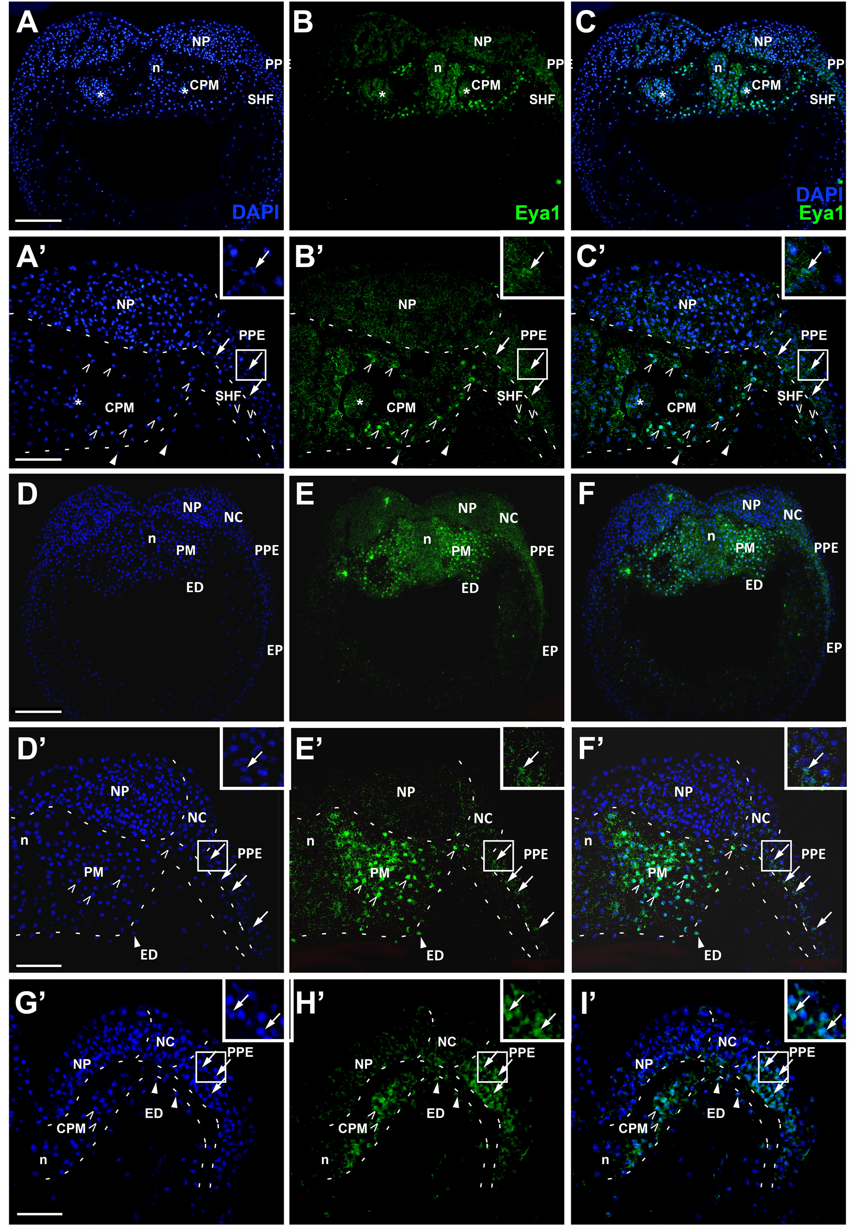
Fig. 3. Eya1 distribution in transverse sections of Xenopus laevis at neural plate and fold stages. A-F: Transverse sections through the anterior (A-C) and posterior (D-F) cranial region of a stage 15 embryo showing nuclear DAPI staining (first column), Eya1 immunostaining (second column) and merged channels (third column) with higher magnification views shown in AâFâ). Boxed areas shown at higher magnification in insets. Gâ-Iâ: High magnification transverse sections through the anterior cranial region of a stage 18 embryo. Eya1 is expressed in cytoplasm and nuclei in preplacodal ectoderm (PPE; nuclear staining indicated with arrows), endoderm (ED; nuclear staining indicated with arrowheads), and parts of the mesoderm (nuclear staining indicated with open arrowheads) including paraxial mesoderm (PM), cranial paraxial mesoderm (CPM) and the adjacent secondary heart field (SHF). Nuclear staining in PPE is still weak at stage 15 but becomes stronger at stage 18. Eya1 expression is undetectable in neural plate (NP), neural crest (NC), notochord (n) and epidermis (EP). Asterisk indicates cells of the anteriormost neural plate which is tangentially sectioned in A-C. Boxed areas shown at higher magnification in insets. Scale bars: A, D: 200 μm (for A-C and D- F); Aâ,â, Gâ: 100 μm (for Aâ-Câ, Dâ-Fâ and Gâ-Iâ). |
|
Fig. 4. Eya1 distribution in transverse sections of Xenopus laevis at stage 21. Overview of stage 21 embryo showing nuclear DAPI staining (first column), Eya1 immunostaining (second column) and merged channels (third column) with higher magnification views shown in Aâ-Fâ. Eya1 . localizes to nuclei in placodes (arrows) and placode derived ganglia (double arrows). Eya is localized to nuclei in placodes (filled arrows) including olfactory placode (pOl), profundal placode (pPr) and ganglion (gPr), trigeminal placode (pV) and adenohypophyseal placode (pAH). Eya1 is also expressed in nuclei and apical cytoplasm of scattered cells in the superficial ectodermal layer (open arrows). Eya1 expression is undetectable in brain and optic vesicle (ov). Scale bars: A, D: 200 μm (for A-C and D- F); Aâ, Dâ: 100 μm (for Aâ-â, and Dâ-â) |
|
Fig. 5. Eya1 distribution in transverse sections of Xenopus laevis at stage 21 (cont.). A-F: Overview of stage 21 embryo showing nuclear DAPI staining (first column), Eya1 immunostaining (second column) and merged channels (third column) with higher magnification views shown in Aâ-Fâ. Eya1 is localized to nuclei in placodes (filled arrows), endoderm (ED; arrowheads), and somites (som; open arrowheads). Eya1 is also expressed in nuclei and apical cytoplasm of scattered cells in the superficial ectodermal layer (open arrows). Specifically, Eya1 is expressed in the prospective otic vesicle (vOt), middle lateral line placode (pM), posterior lateral line placode (pP) and glossopharyngeal epibranchial placode (epIX) all of which are still part of a common posterior placodal area, as well as in the endoderm (ED) including pharyngeal pouches (php) and the mesoderm of the secondary heart field (SHF). Eya1 expression is undetectable in brain, neural crest (NC), notochord (n) and optic vesicle (ov). Scale bars: A, D: 200 μm (for A-C and D- F); Aâ, Dâ: 100 μm (for Aâ-â and Dâ-â). |
|
Fig. 6. Eya1 distribution in transverse sections of Xenopus laevis at stage 26. A-F: Overview of stage 26 embryo showing nuclear DAPI staining (first column), Eya1 immunostaining (second column) and merged channels (third column) with higher magnification views shown in Dâ-Fââ.. Eya1 is localized to nuclei in placodes (filled arrows) and endoderm (arrowheads). Eya1 is also expressed in nuclei and apical cytoplasm of scattered cells in the superficial ectodermal layer (open arrows). Eya1 is expressed in olfactory placode (pOl), profundal placode (pPr) and anteroventral lateral line placode (pAV) as well as in some endodermal cells and the mesoderm of the secondary heart field (SHF). Eya1 expression is undetectable in brain, optic vesicle (ov) and cement gland (cg). Scale bars: A: 100 μm (for A-C); D: 200 μm (for D-F); Dâ,ââ: 100 μm (for Dâ-ââ). |
|
Fig. 7. Eya1 distribution in transverse sections of Xenopus laevis at stage 26 (cont.). A-C: Overview of stage 26 embryo showing nuclear DAPI staining (first column), Eya1 immunostaining (second column) and merged channels (third column) with higher magnification views shown in Aâ-Câ. Eya1 is localized to nuclei in placodes (filled arrows) and endoderm (arrowheads). Eya1 is also expressed in nuclei and apical cytoplasm of scattered cells in the superficial ectodermal layer (open arrows). Eya1 is expressed in trigeminal placode (pV) and facial epibranchial placode (epVII), Eya1 expression is undetectable in brain. Scale bars: A: 200 μm (for A-C); Aâ,ââ: 100 μm (for Aâ-â, Aââ-ââ). |
|
Fig. 8. Eya1 distribution in transverse sections of Xenopus laevis at stage 26 (cont.). A-C: Overview of stage 26 embryo showing nuclear DAPI staining (first column), Eya1 immunostaining (second column) and merged channels (third column) with higher magnification views shown in Aâ-Câ. Eya1 is localized to nuclei in placodes (filled arrows) and endoderm (arrowheads). Eya1 is also expressed in nuclei and apical cytoplasm of scattered cells in the superficial ectodermal layer (open arrows). Eya1 is expressed in anterodorsal lateral line placode (pAD), the invaginating otic vesicle (vOt; asterisk indicates lumen), the middle lateral line placode (pM) and glossopharyngeal epibra |
|
Fig. 9. Eya1 distribution in trasverse sections of Xenopus laevis at stage 26 (cont.). A-C: Overview of stage 26 embryo showing nuclear DAPI staining (first column), Eya1 immunostaining (second column) and merged channels (third column) with higher magnification views shown in Aâ-Câ. Eya1 is localized to nuclei in placodes (filled arrows) and endoderm (arrowheads). Eya1 is also expressed in nuclei and apical cytoplasm of scattered cells in the superficial ectodermal layer (open arrows). Eya1 is expressed in the otic vesicle (vOt), the middle lateral line placode (pM) and the first vagal placode (epX1). Eya1 expression is undetectable in the brain. Scale bars: A: 200 μm (for A-C); Aâ,ââ: 100 μm (for Aâ-â, Aââ-ââ). |
|
Fig. 10. Eya1 distribution in transverse sections of Xenopus laevis at stage 26 (cont.). A-C: Overview of stage 26 embryo showing nuclear DAPI staining (first column), Eya1 immunostaining (second column) and merged channels (third column) with higher magnification views shown in Aâ-Câ. Eya1 is localized to nuclei in placodes (filled arrows), endoderm (arrowheads) and somites (som; open arrowheads). Eya1 is also expressed in nuclei and apical cytoplasm of scattered cells in the superficial ectodermal layer (open arrows). Eya1 is expressed in the posterior lateral line placode (pP) and the second vagal placode (epX2). Eya1 expression is undetectable in the brain. Scale bars: A: 200 μm (for A-C); Aâ: 100 μm (for Aâ-â). |
|
Fig. 11. Eya1 distribution in transverse sections of Xenopus laevis at stage 40. A-I: Overview of stage 40 tadpole showing nuclear DAPI staining (first column), Eya1 immunostaining (second column) and merged channels (third column). Eya1 is expressed in olfactory epithelium (Ol), adenohypophysis (AH), anteroventral lateral line placode (pAV), sensory ridges of supraorbital lateral line (so) and of infraorbital lateral line (io). Eya1 expression is undetectable in brain, lens and retina (ret). Scale bars: A, D, G: 100 μm (for A-C, D-F and G-I). |
|
Fig. 12. Eya1 distribution in transverse sections of Xenopus laevis at stage 40 (cont.). A-F: Overview of stage 40 tadpole showing nuclear DAPI staining (first column), Eya1 immunostaining (second column) and merged channels (third column). Eya1 is expressed in trigeminal ganglion (gV), anterodorsal lateral line placode (pAD), anteroventral lateral line placode (pAV), sensory ridge of supraorbital lateral line (so), the facial epibranchial placode (epVII) and glossopharyngeal epibranchial placode (epIX). Eya1 expression is undetectable in brain and pharyngeal pouches (php). Scale bars: A, D: 100 μm (for A-C and D-F). |
|
Fig. 13. Eya1 distribution in transverse sections of Xenopus laevis at stage 40 (cont.). A-I: Overview of stage 40 tadpole showing nuclear DAPI staining (first column), Eya1 immunostaining (second column) and merged channels (third column). Eya1 is expressed in otic vesicle (vOt), middle lateral line placode (pM), aortic lateral line (ao), the first vagal epibranchial placode (epX1), first hypobranchial placode (hp1), second hypobranchial placode (hp2), somites (som) and cardiac outflow (COF). Eya1 expression is undetectable in brain and pharyngeal pouches (php). Scale bars: A, D, G: 100 μm (for A-C, D-F and G-I). |
|
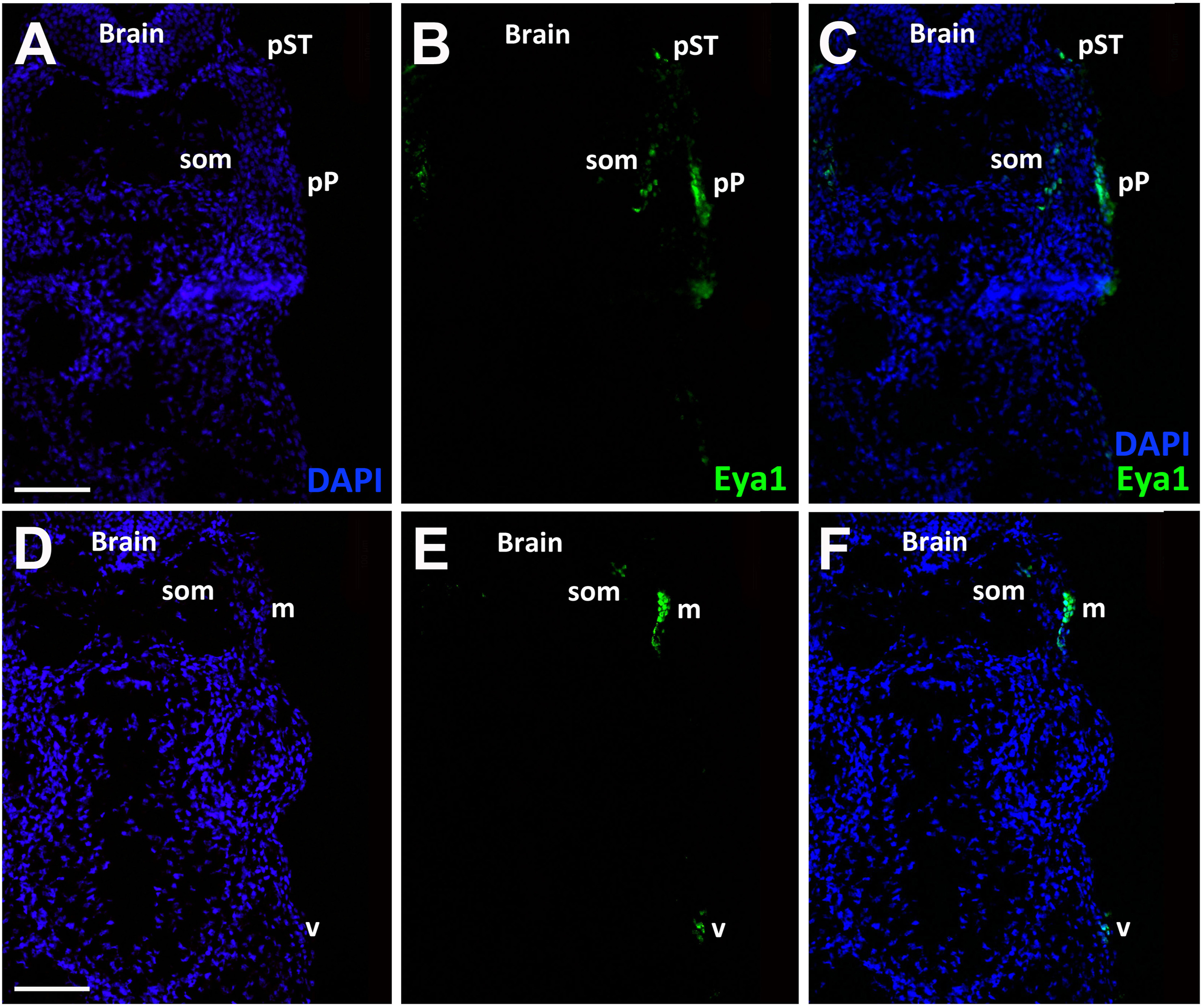
Fig. 14. Eya1 distribution in transverse sections of Xenopus laevis at stage 40 (cont.). A-F: Overview of stage 40 tadpole showing nuclear DAPI staining (first column), Eya1 immunostaining (second column) and merged channels (third column). Eya1 is expressed in posterior lateral line placode (pP), supratemporal lateral line placode (pST), the sensory ridges of middle trunk line (m) and ventral trunk line (v) and in somites (som). Eya1 expression is undetectable in brain. Scale bars: A, D: 100 μm (for A-C and D-F). |
|
Fig. Suppl. 1. Eya1 distribution in transverse sections through anterior head of Xenopus laevis at stage 23. Nuclear DAPI staining (A), Eya1 immunostaining (B) and merged channel (C) is shown. Eya1 is localized to nuclei in the profundal placode (pPr), trigeminal placode (pP) and adenohypophyseal placode (pAH) Eya1 expression is undetectable in the brain and optic vesicle (ov). Scale bar in A:100 μm (for A-C). |
|
Fig. Suppl. 2. Subcellular localization of Eya1 protein in superficial ectoderm at stage 26. Immunostaining for Eya1 in a transverse section through otic level of a Xenopus embryo at stage 26 analyzed by confocal microscopy (dorsal to the top, medial to the left). Nuclear DAPI staining (first column), Eya1 immunostaining (second column) and merged channels (third column) are shown. A-C: Overview with maximum intensity projection through z-stack. D-Fâ: Magnified views of the lower boxed area shown in two different confocal planes (D-F, Dâ-Fâ; 0.9 μm between adjacent planes). G-Iâ: Magnified views of the upper boxed area shown in two different confocal planes (G-I, Gâ-Iâ; 0.9 μm between adjacent planes). Strongly Eya1-immunopositive nuclei in the superficial ectodermal layer indicated by open arrows. Note that Eya1 is also enriched in the cytoplasm between these nuclei and the apical surface of these cells. ov: otic vesicle. ¬Scale bar in A: 25 μm. |
|
Fig. Suppl. 3. Eya1 distribution in transverse sections of Xenopus laevis at stage 32. A-C, G-I: Overview of stage 32 embryo showing nuclear DAPI staining (first column), Eya1 immunostaining (second column) and merged channels (third column) with higher magnification views shown in Aâ-Câ and Gâ-Iâ. Eya1 is expressed in olfactory placode (pOl), adenohypophysis (AH), profundal ganglion (gPr), anteroventral lateral line placode (pAV) and the mesoderm of the secondary heart field (SHF). Eya1 expression is undetectable in brain, optic vesicle (ov) and cement gland (cg). Scale bars: A, D, Gâ: 100 μm (for A-F); G: 200 μm (for G-I). |
|
Fig. Suppl. 4. Eya1 distribution in transverse sections of Xenopus laevis at stage 32 (cont.). A-C, G-I: Overview of stage 32 embryo showing nuclear DAPI staining (first column), Eya1 immunostaining (second column) and merged channels (third column) with higher magnification views shown in Aâ-Câ, Aââ-Cââ and Gâ-Iâ. Eya1 is expressed in profundal ganglion (gPr), trigeminal placode (pV), anteroventral lateral line placode (pAV), facial epibranchial placode (epVII), pharyngeal pouch endoderm (php) and mesoderm of the secondary heart field (SHF). Eya1 expression is undetectable in brain, lens placode (lp) and optic vesicle (ov). Scale bars: A, D: 200 μm (for A-C, D-F); Aâ, Aââ, Dâ: 100 μm (for Aâ-Cââ, Dâ-Fâ). |
|
Fig. Suppl. 5. Eya1 distribution in transverse sections of Xenopus laevis at stage 32 (cont.). A-C, D-F Overview of stage 32 embryo showing nuclear DAPI staining (first column), Eya1 immunostaining (second column) and merged channels (third column) with higher magnification views shown in Aâ-Câ and Gâ-Iâ. Eya1 is expressed in anterodorsal lateral line placode (pAD), middle lateral line placode (pM), a glossopharyngeal placode (epIX), the otic vesicle (vOt) and some endodermal cells (arrowheads). Eya1 expression is undetectable in brain. Scale bars: A, D: 200 μm (for A-C, D-F); Aâ, Dâ: 100 μm (for Aâ-Câ, Dâ-Fâ). |
|
Fig. Suppl. 6. Eya1 distribution in transverse sections of Xenopus laevis at stage 32 (cont.). A-C, G-I: Overview of stage 32 embryo showing nuclear DAPI staining (first column), Eya1 immunostaining (second column) and merged channels (third column) with higher magnification views shown in Aâ-Câ and Gâ-Iâ. Eya1 is expressed in the first vagal placode (epX1), the second vagal placode (epX2), otic vesicle (vOt), posterior lateral line placode (pP) and somites (som). Eya1 expression is undetectable in brain. Scale bars: A, D: 200 μm (for A-C, D-F); Aâ, Dâ: 100 μm (for Aâ-Câ, Dâ-Fâ). |