Click here to close Hello! We notice that you are using Internet Explorer, which is not supported by Xenbase and may cause the site to display incorrectly. We suggest using a current version of Chrome, FireFox, or Safari.
XB-ART-61606
Front Neuroanat 2025 Nov 06;19:1677413. doi: 10.3389/fnana.2025.1677413.
Show Gene links Show Anatomy links

Developmental and adult expression of the Meis2 transcription factor in the central nervous system of Xenopus laevis: a developmental and evolutive analysis.

Morona R, Martinez A, Moreno N.


???displayArticle.abstract???
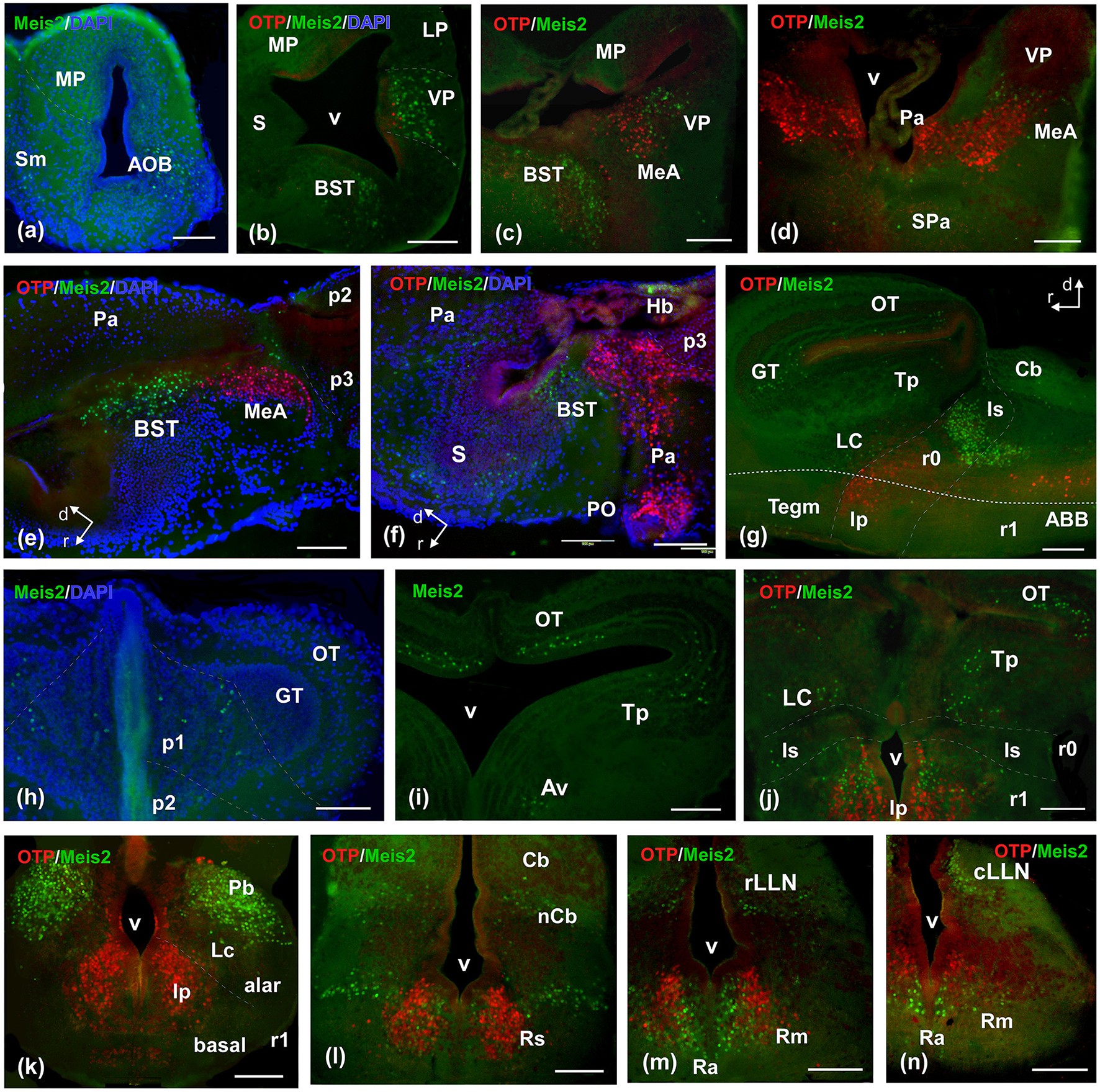
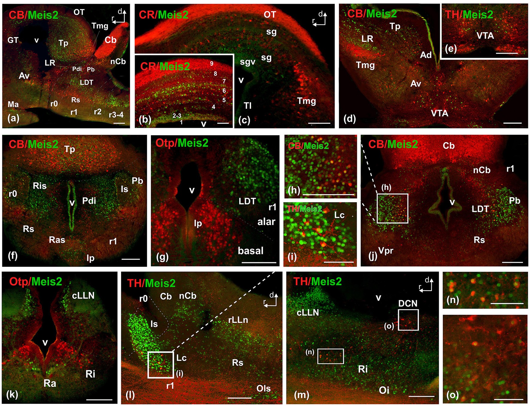
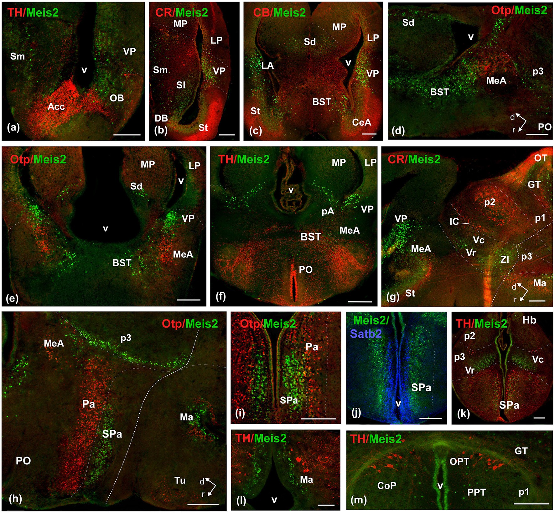
Myeloid ecotropic viral integration site 2 (Meis2) is a three-amino-acid-loop-extension (TALE) transcription factor (TF) involved in key neurodevelopmental processes, such as neuronal differentiation and brain regionalization. Its expression is well documented in amniotes and teleosts, but its distribution in the developing brain of anamniote tetrapods remains poorly understood. Therefore, the distribution of Meis2-immunoreactive (-ir) cells was analyzed throughout the developmental stages of the Xenopus laevis brain, revealing a dynamic, stage-specific expression pattern. From the early embryonic stages, Meis2-ir cells were found in the telencephalon, specifically in the ventrolateral pallium and subpallium; the diencephalon, particularly in the prosomere 3 and transiently in p2 and in the habenula; the optic tectum; the mesencephalic tegmentum; and the rhombencephalon. During the premetamorphic stages, Meis2 expression extended rostrally in the olfactory bulb (OB) and to subpallial derivatives, including scattered cells in the amygdaloid region. It was present in the alar and basal hypothalamus. During the metamorphic climax and juvenile phases, Meis2-ir expression became clearly defined in specific mature nuclei, specifically in the ventral pallium, the bed nucleus of the stria terminalis, septal nuclei, supra-paraventricular and mammillary hypothalamus, and prethalamic nuclei. In addition, from the metamorphic climax stages, Meis2 occupied a number of tectal layers and was observed in the cerebellar nucleus. The most prominent and constant expression was observed in the rhombencephalon, particularly in areas surrounding the isthmus and the reticular formation. This expression extended from rostral rhombomeres (r1-r3) caudally into the lateral line system and raphe nuclei. These results highlight the conserved and temporally regulated role of Meis2 in the regional specification and maturation of the central nervous system and reveal particularities related to cell specification.

???displayArticle.pubmedLink??? 41280242
???displayArticle.pmcLink??? PMC12631407
???displayArticle.link??? Front Neuroanat


Species referenced: Xenopus laevis
Genes referenced: calb1 calb2 meis1 meis2 meis3 otp pax6 satb2 th
GO keywords: brain development [+]
???displayArticle.antibodies??? Calb1 Ab6 Calb2 Ab7 Meis2 Ab1 Otp Ab2 Pax6 Ab6 Satb1 Ab1 Th Ab2

???displayArticle.disOnts??? intellectual disability

???attribute.lit??? ???displayArticles.show???