XB-ART-7322
Mol Biol Cell
2002 Apr 01;134:1263-73. doi: 10.1091/mbc.01-10-0501.
Show Gene links
Show Anatomy links
Localized calcium signals along the cleavage furrow of the Xenopus egg are not involved in cytokinesis.
Noguchi T, Mabuchi I.
???displayArticle.abstract???
It has been proposed that a localized calcium (Ca) signal at the growing end of the cleavage furrow triggers cleavage furrow formation in large eggs. We have examined the possible role of a Ca signal in cleavage furrow formation in the Xenopus laevis egg during the first cleavage. We were able to detect two kinds of Ca waves along the cleavage furrow. However, the Ca waves appeared after cleavage furrow formation in late stages of the first cleavage. In addition, cleavage was not affected by injection of dibromoBAPTA or EGTA into the eggs at a concentration sufficient to suppress the Ca waves. Furthermore, even smaller classes of Ca release such as Ca puffs and Ca blips do not occur at the growing end of the cleavage furrow. These observations demonstrate that localized Ca signals in the cleavage furrow are not involved in cytokinesis. The two Ca waves have unique characteristics. The first wave propagates only in the region of newly inserted membrane along the cleavage furrow. On the other hand, the second wave propagates along the border of new and old membranes, suggesting that this wave might be involved in adhesion between two blastomeres.
???displayArticle.pubmedLink??? 11950937
???displayArticle.pmcLink??? PMC102267
???displayArticle.link??? Mol Biol Cell
GO keywords: cleavage furrow
???attribute.lit??? ???displayArticles.show???
|
|
Fig. 1. Calcium imaging systems. (A) Schematic representation of the cleavage furrow and the F-actin structures. The two growing ends are the sites where the contractile ring structure is continuously formed. However, the middle region is where contraction occurs. It has been shown that rhodamine-WGA staining colocalizes with F-actin staining at the growing end of the cleavage furrow. SeeNoguchi and Mabuchi (2001) for detail. (B) Imaging of Ca waves was carried out using LSM at low magnification. Albino eggs were observed from the animal hemisphere to monitor the early cleavage furrow. Ca chelators were injected from the side during imaging. (C) Imaging of Ca puffs and Ca blips was carried out in a handmade chamber for scanning at high magnification using the LSM. In the chamber, the egg was compressed by a coverslip in order to flatten the cortex. The chamber has a slit at one side to introduce the glass needle for microinjection. |
|
|
Fig. 2. Dual time-lapse imaging of [Ca2+]i and the newly emerging cleavage furrow. (A) Time-lapse images at an interval of 90 s depict increasing fluorescence intensity of CalG-dx (increasing free [Ca2+]i: (FCalGâ FCNF)/FCNF Ã 2.5) on a pseudocolor scale as indicated by the color bar. The positions of the growing ends in B are indicated with yellow arrowheads. Note that no obvious elevation of the free [Ca2+]i was detected at the growing end of the cleavage furrow. (B) Serial images of a newly emerging and elongating cleav-age furrow stained with rhodamine-WGA (the white line in the middle of the egg). Each image was simultaneously obtained with those shown in A. Scale bar, 0.2 mm. |
|
|
Fig. 3. Line-scan images of Ca blips and puffs that were induced by the injection of 3FIP3 detected in the animal hemisphere. (A and B) Pseudocolor representations of local increase of free [Ca2+]i at a single Ca blip (A) and puff (B) recorded by confocal line-scanning. The changes of fluorescence intensity every 3 ms on a line at a fixed position is depicted. The abscissa represents the time and ordinate represents scale (μm). The traces in C and D show the fluorescence intensities monitored across the area indicated by red bars in A and B, respectively. Note that the signal in A is well distinguished from the background noise. Diameters, durations, and total signal masses are significantly different between Ca blips and Ca puffs. (E) A histogram showing the size distribution of Ca signal events. The half-maximal diameters of 59 Ca signals obtained from 8 eggs were measured. There are two groups of signals observed with different half-maximal diameters. The averages of the half-maximal diameters are 1.8 ± 0.45 μm in the left group (Ca blips) and 4.3 ± 0.65 μm in the right group (Ca puffs). |
|
|
Fig. 4. Neither Ca puffs nor Ca blips appear at the growing end of the cleavage furrow. (a) An egg at an early stage of cytokinesis was labeled with rhodamine-WGA to mark the cleavage furrow, and [Ca2+]i was monitored using Fluo-4. The area indicated by the square in a was scanned for the Fluo-4 fluorescence. Thirty frames were obtained at the speed of 0.78 s/frame. This scan speed is equal to that of the line-scan in Figure 3. After this data collection, 3FIP3 was injected near the scan area. Again 30 frames of scan images were obtained at the same speed in the same area. (b) Rhodamine-WGA staining of the growing end of the cleavage furrow shown in a. The white arrow indicates the position of the growing end of the cleavage furrow. (c and e) Representative single confocal frame scan images, showing increased free [Ca2+]i: (Fn â Fnâ1) à 2 in a pseudocolor scale before (c) and after (e) 3FIP3 injection in the area shown in a. The arrow indicates a Ca blip detected after 3FIP3 injection. (d and f) Patterns of subcortical Ca release before (d) and after (f) 3FIP3 injection. The total Ca signals and their position identified in all 30 frame scans, in the same field shown in a, c, and e are marked (Ã). Ca signals are clearly distinguishable from noise based on their signal mass and diameters (>1.5 μm). Only three signals are detected around the growing end of the cleavage furrow before 3FIP3 injection, whereas 48 Ca microspikes including both Ca blips and Ca puffs were detected in the respective 30-frame scans after injection. Scale bar, 25 μm. |
|
|
Fig. 5. Dual imaging of rhodamine-WGA staining and Ca wave 1. (A) A time-lapse recording of rhodamine-WGA staining of the egg surface during furrow deepening at 2-min intervals. The region where the membrane is newly inserted appears as a dark region (the area encircled by a dotted line). The arrowheads indicate the division plane. (B) Pseudocolored images of increased free [Ca2+]i; (FCalG â FCNF)/FCNF Ã 2.5, simultaneously obtained with the images in a, demonstrating that Ca wave 1 propagates in the furrow region. Duration of Ca wave 1 is significantly shorter than that of cytokinesis. It is excluded from the contractile ring area (arrow). (C) Merged images of (A, red) and (B, green). Wave 1 is restricted to the area of newly inserted membrane. Scale bar, 0.2 mm. |
|
|
Fig. 6. Ca wave 2 propagates along the border of old and new membranes after completion of cytokinesis. (A) Representative merged image of rhodamine-WGA staining (red) and increasing free [Ca2+]i: (FCalG â FCNF) Ã 2 (green) during Ca wave 2 after completion of the first cleavage. Wave 2 emerged at the animal pole and traversed along the border of old and new membranes. Arrowheads in the image at 0 s indicate the starting point of wave 2, and those in the image at 124 s indicate the wave front. Note that the egg had already divided into two blastomeres before wave 2 first appeared. (B) Gray scale images of increased free [Ca2+]i; (FCalG â FRhod) during a typical wave 2. The yellow line in âtime 0â indicates the position of the division plane. Wave 2 does not propagate continuously, but often skips a distance of several hundred micrometers, reappearing along the border of the two membranes or flickering at some particular site several times. Arrowheads indicate initiation sites of wave 2. At site 1, Ca signal is flickering (the signal is seen during 0â95 s, disappears and then reappears after 152 s). There seemed to be no synchrony between the waves in the two blastomeres. Numbers indicate the recording time (seconds). Scale bars, 0.2 mm. |
|
|
Fig. 7. Schematic drawings of Ca waves along the cleavage furrow during first cleavage. |
|
|
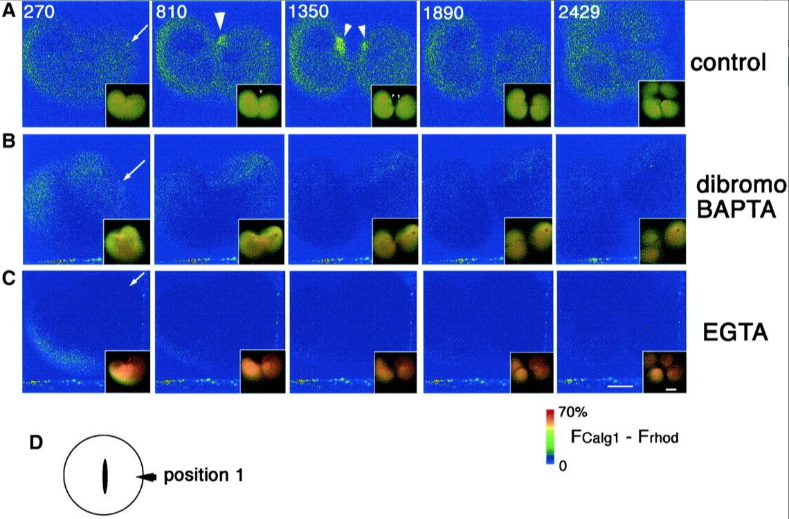
Fig. 8. dibromoBAPTA or EGTA effectively suppresses both Ca wave 1 and 2 without affecting cytokinesis. Pseudocolored time-lapse images showing the change of free [Ca2+]i after Ca chelator injections. Four nanoliters each of the injection buffer alone as control (A), 0.9 mM (final concentration in the cytosol) dibromoBAPTA (B), or 0.9 mM (final concentration) EGTA (C), were injected into dividing eggs during early furrowing at a polar region (D and arrows in AâC), and the effects on both cytokinesis and free [Ca2+]i;(FCalG â FRhod) Ã 1.4, were monitored. The merged raw data for CalG-dx and Rhod-dx are also presented in the right bottom of each pseudocolor image to show the appearance of the embryos. Yellow color represents the resting level of the [Ca2+]i. As the [Ca2+]i was lowered by Ca chelators, the color turned to reddish. The numbers in A indicate times (seconds) after injection. Images in B and C were obtained at the same time points. (A) In the control egg, Ca wave 1 and 2 were detected at 810 s and 1350 s, respectively (arrowheads). (B) Injection of dibromoBAPTA did not alter the free [Ca2+]i significantly as expected from itsKd for Ca ion. In the dibromoBAPTA-injected egg, both wave 1 and wave 2 were suppressed but the first cleavage was not affected or only slightly delayed. The second cleavage of the blastomere on the injection side was inhibited. Deformation occurred frequently around the site of the injection (inset of the picture of 270 s). (C) The injection of EGTA lowered the [Ca2+]i immediately and significantly. Both Ca wave 1 and wave 2 were suppressed. However, the first and second cleavages occurred normally. (D) Position of injection site. Position 1, position away from both ends of the cleavage furrow. Scale bars, 0.2 mm. |
|
|
Fig. 9. Effect of dibromoBAPTA and EGTA on the cortex of Xenopus eggs. (a and b) Thirty minutes after the injection of 0.45 mM dibromoBAPTA (a) or injection buffer (b) into dividing wild-type Xenopus egg. Arrowheads, injection sites; white arrow, the position of the growing end. (a) Furrow formation was clearly inhibited on the side of the injection. The growing end was drawn back to the center of the egg after its progression had stopped. On the other hand, the furrow progressed normally at the other end. In the control egg (b), both ends grew and the egg cleaved normally. (c) Positions of injection sites. Position 2, injection carried out at a position near the growing end of the cleavage furrow. (d) Dose-dependent inhibition of furrow formation by dibromoBAPTA. Progression of the furrow at the growing ends (A or B) was examined 30 min after injection. â, concentration (0.9 mM) used in Ca monitoring experiment in Figure 8. ââ, at 1.8 mM, progression of the furrow at the end B was very slow, and the egg was severely deformed. Ca buffers were injected into fertilized wild-typeXenopus eggs, and changes of the cortex were monitored 1 min (e and f) and 5 min (eâ² and fâ²) after the injections. Arrowheads in (e) and (f) indicate the positions of injection site. Injection of 1.8 mM dibromoBAPTA (eâ²), induced deformation of cortex and concentration of pigment granules around the injection site (arrow). (f and fâ²) Injection of 6.3 mM EGTA did not cause such contraction in the cortex. |
References [+] :
Bootman,
Cooking with calcium: the recipes for composing global signals from elementary events.
1997, Pubmed
Bootman, Cooking with calcium: the recipes for composing global signals from elementary events. 1997, Pubmed
Chang, A localized elevation of cytosolic free calcium is associated with cytokinesis in the zebrafish embryo. 1995, Pubmed
Drechsel, A requirement for Rho and Cdc42 during cytokinesis in Xenopus embryos. 1997, Pubmed , Xenbase
Fluck, Slow calcium waves accompany cytokinesis in medaka fish eggs. 1991, Pubmed
Groigno, An anaphase calcium signal controls chromosome disjunction in early sea urchin embryos. 1998, Pubmed
Jaffe, On the conservation of calcium wave speeds. 1998, Pubmed
Kao, Active involvement of Ca2+ in mitotic progression of Swiss 3T3 fibroblasts. 1990, Pubmed
Kawano, Phosphorylation of myosin-binding subunit (MBS) of myosin phosphatase by Rho-kinase in vivo. 1999, Pubmed
Kishi, Regulation of cytoplasmic division of Xenopus embryo by rho p21 and its inhibitory GDP/GTP exchange protein (rho GDI). 1993, Pubmed , Xenbase
Mabuchi, Effects of Inhibitors of Myosin Light Chain Kinase and Other Protein Kinases on the First Cell Division of Sea Urchin Eggs: (cell division/contractile ring/protein kinase/sea urchin egg). 1990, Pubmed
Mabuchi, The effect of myosin antibody on the division of starfish blastomeres. 1977, Pubmed
Mabuchi, A rho-like protein is involved in the organisation of the contractile ring in dividing sand dollar eggs. 1993, Pubmed
Marchant, Initiation of IP(3)-mediated Ca(2+) waves in Xenopus oocytes. 1999, Pubmed , Xenbase
Matsumura, Specific localization of serine 19 phosphorylated myosin II during cell locomotion and mitosis of cultured cells. 1998, Pubmed
Merzdorf, Formation of functional tight junctions in Xenopus embryos. 1998, Pubmed , Xenbase
Miller, Calcium buffer injections inhibit cytokinesis in Xenopus eggs. 1993, Pubmed , Xenbase
Muto, Calcium waves along the cleavage furrows in cleavage-stage Xenopus embryos and its inhibition by heparin. 1996, Pubmed , Xenbase
Nigam, Changes in intracellular calcium during the development of epithelial polarity and junctions. 1992, Pubmed
Noguchi, Reorganization of actin cytoskeleton at the growing end of the cleavage furrow of Xenopus egg during cytokinesis. 2001, Pubmed , Xenbase
Parker, Elementary events of InsP3-induced Ca2+ liberation in Xenopus oocytes: hot spots, puffs and blips. 1996, Pubmed , Xenbase
Poenie, Changes of free calcium levels with stages of the cell division cycle. , Pubmed
Satterwhite, Phosphorylation of myosin-II regulatory light chain by cyclin-p34cdc2: a mechanism for the timing of cytokinesis. 1992, Pubmed , Xenbase
Scholey, Regulation of non-muscle myosin assembly by calmodulin-dependent light chain kinase. 1980, Pubmed
Schroeder, Dynamics of the contractile ring. 1975, Pubmed
Speksnijder, Calcium buffer injections block fucoid egg development by facilitating calcium diffusion. 1989, Pubmed
Sun, A continuum of InsP3-mediated elementary Ca2+ signalling events in Xenopus oocytes. 1998, Pubmed , Xenbase
Thomas, A comparison of fluorescent Ca2+ indicator properties and their use in measuring elementary and global Ca2+ signals. 2000, Pubmed
Tombes, Intracellular free calcium and mitosis in mammalian cells: anaphase onset is calcium modulated, but is not triggered by a brief transient. 1989, Pubmed
Uehata, Calcium sensitization of smooth muscle mediated by a Rho-associated protein kinase in hypertension. 1997, Pubmed
Wang, Impact of cytoplasmic calcium buffering on the spatial and temporal characteristics of intercellular calcium signals in astrocytes. 1997, Pubmed
Webb, Localized calcium transients accompany furrow positioning, propagation, and deepening during the early cleavage period of zebrafish embryos. 1997, Pubmed
Yamakita, In vivo phosphorylation of regulatory light chain of myosin II during mitosis of cultured cells. 1994, Pubmed
